New Search Family, Subfamily and Tribe List
new world both worldsboth worlds old world
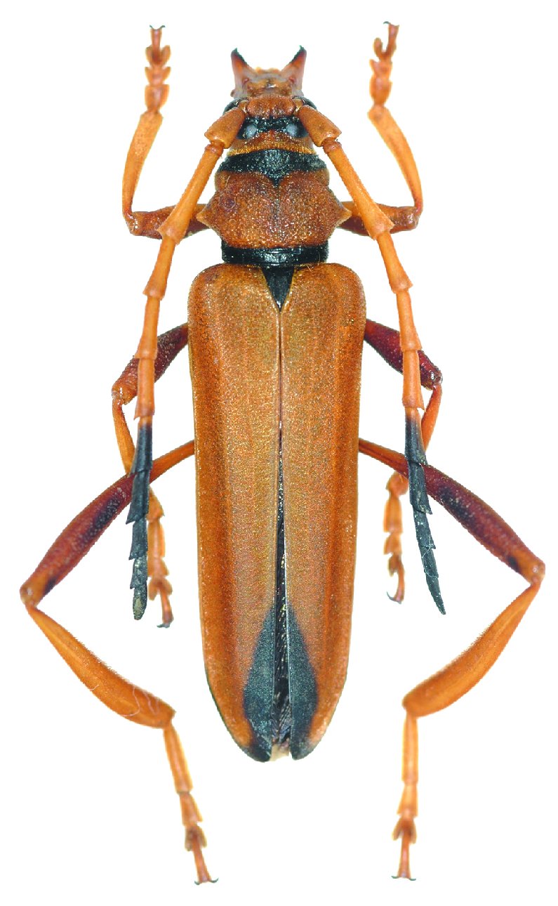
Family Cerambycinae
SubFamily Cerambycinae
Tribe Callichromatini

Genus Dubianella


Dubianella
chrysogaster


Dubianella
jiewhoei


Dubianella
podanyi

130503