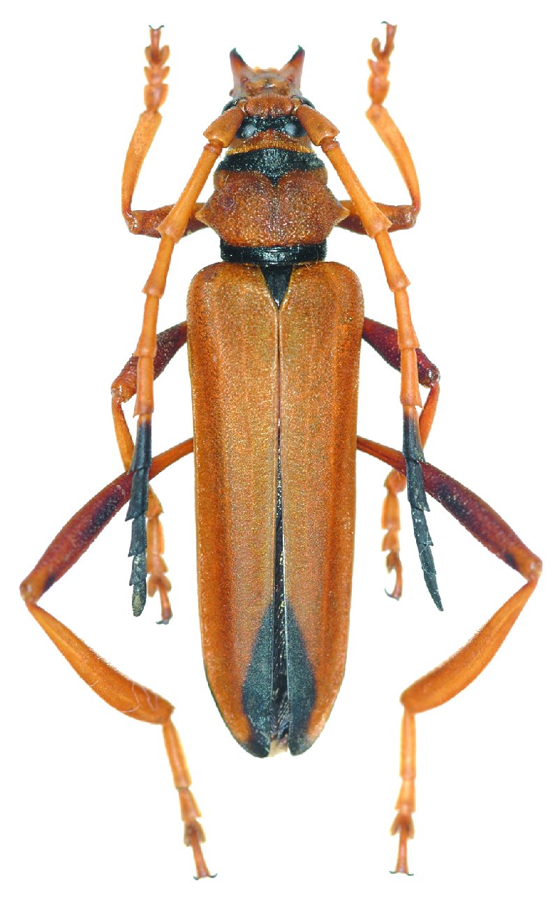
_Bentamachs_Coll_Bosuang_Ranau_Sabah_Borneo.jpg)
Specimen Type: holotype Sex: f Institution: Bentanachs Collection Photographer: Dan Heffern Collection Location: Ranau, Sabah, Borneo 71773
|
_Bentamachs_Coll_Bosuang_Ranau_Sabah_Borneo.jpg)
Specimen Type: holotype Sex: f Institution: Bentanachs Collection Photographer: Dan Heffern Collection Location: Ranau, Sabah, Borneo 71774
|
_Bentanachs_Bosuang_Ranau_Sabah_Borneo_Bent_pic.jpg)
Specimen Type: holotype Sex: f Institution: Bentanachs Collection Photographer: Joan Bentanachs Collection Location: Ranau, Sabah, Borneo 74103
|
|