New Search
Family, Subfamily and Tribe List
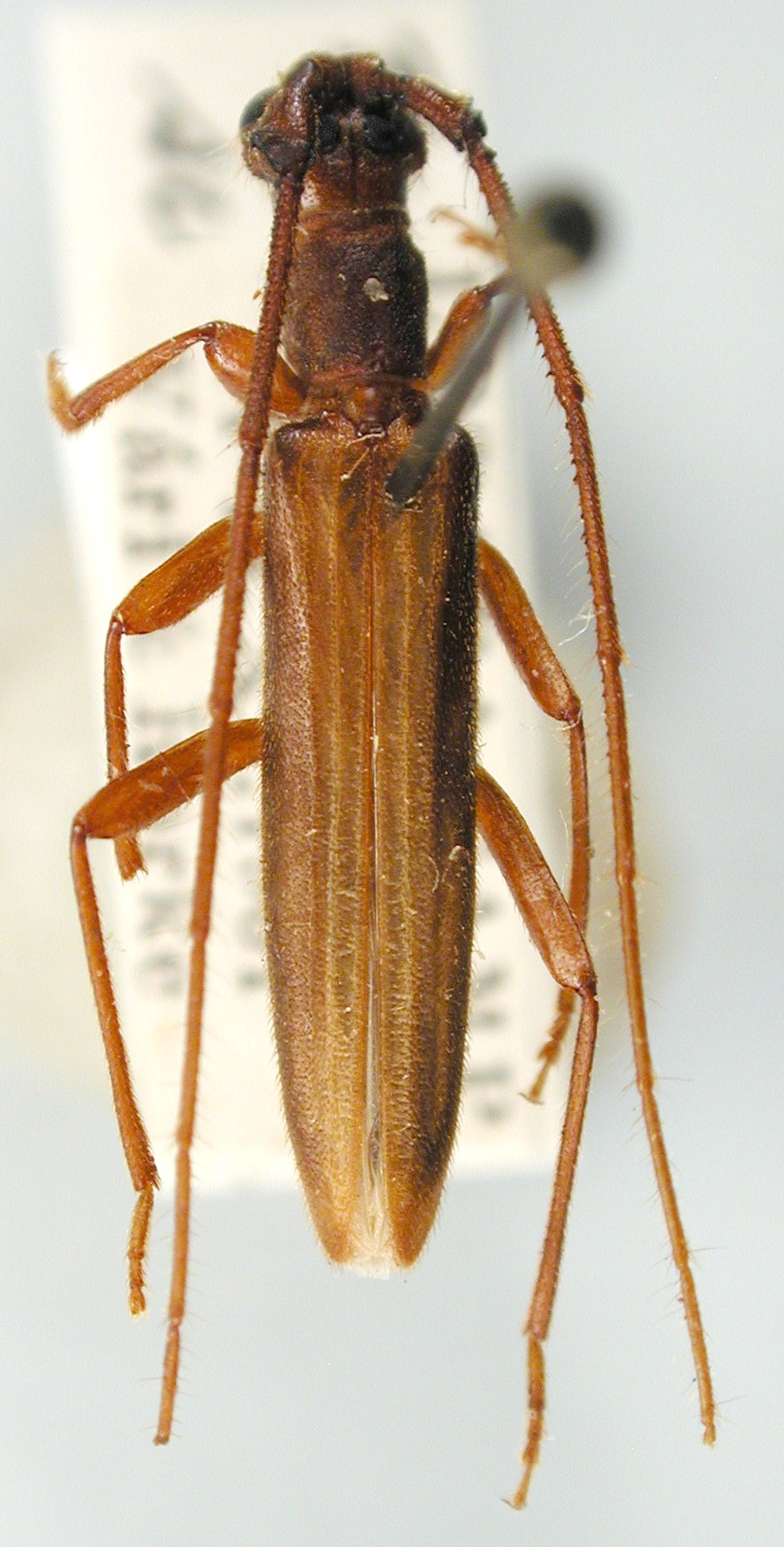
Family
Cerambycinae
SubFamily
Cerambycinae
Tribe
Oemini
Genus
Diptychoeme
Diptychoeme
suturalis
130503