New Search Family, Subfamily and Tribe List

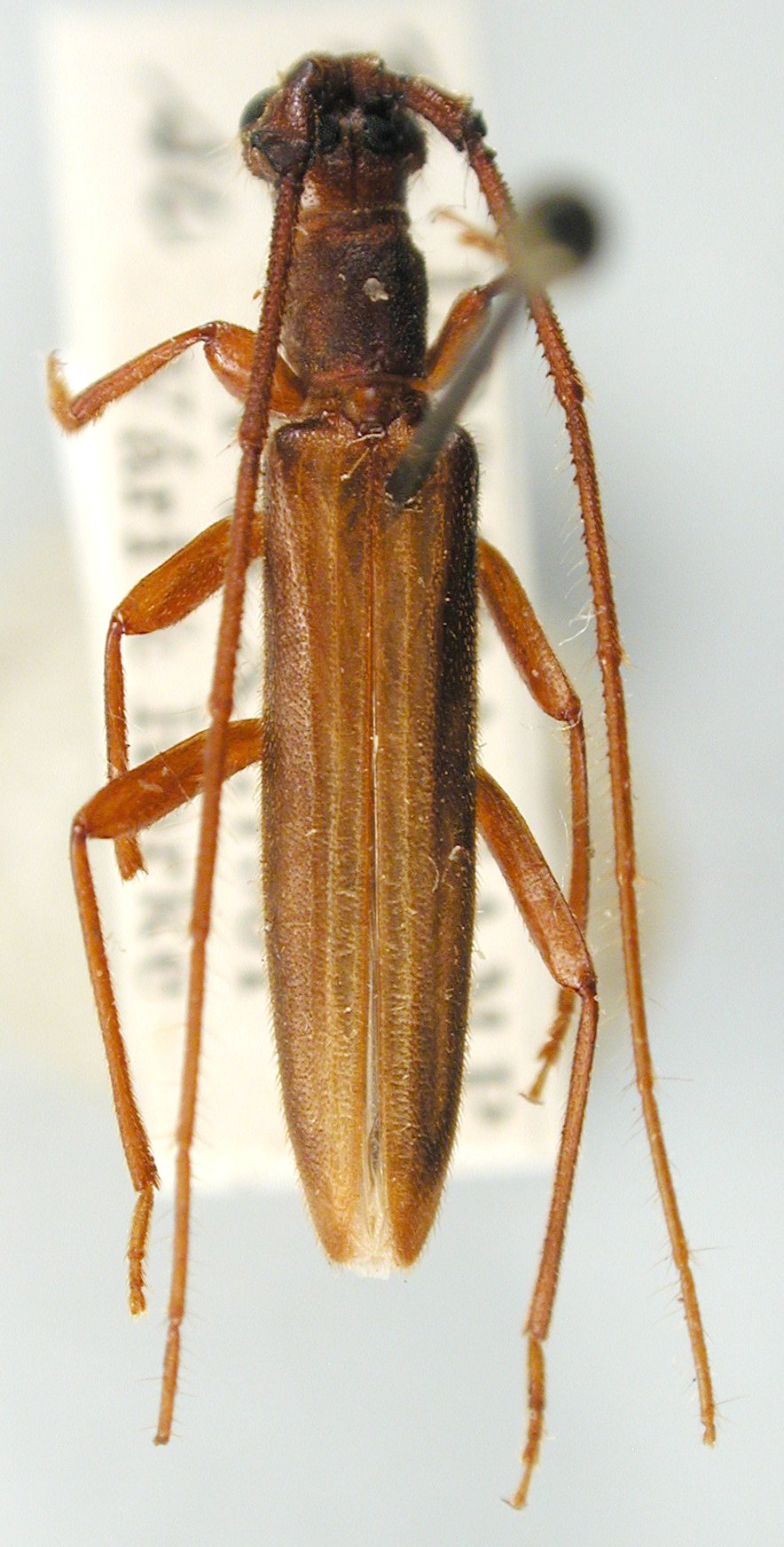
SubFamily Cerambycinae

Tribe Oemini
Diptychoeme suturalis (Gahan, 1904)

Institution: JCPC Jim Cope Collection, San Jose, California, USA now at CSCA, Sacramento
Photographer: Larry G. Bezark
Determiner: Jim Cope
Collection Location: Letaba Camp, Kruger National Park, South Africa
99028

130425