New Search Family, Subfamily and Tribe List
new world both worldsboth worlds old world
Family Cerambycinae
SubFamily Cerambycinae
Tribe Callidiini

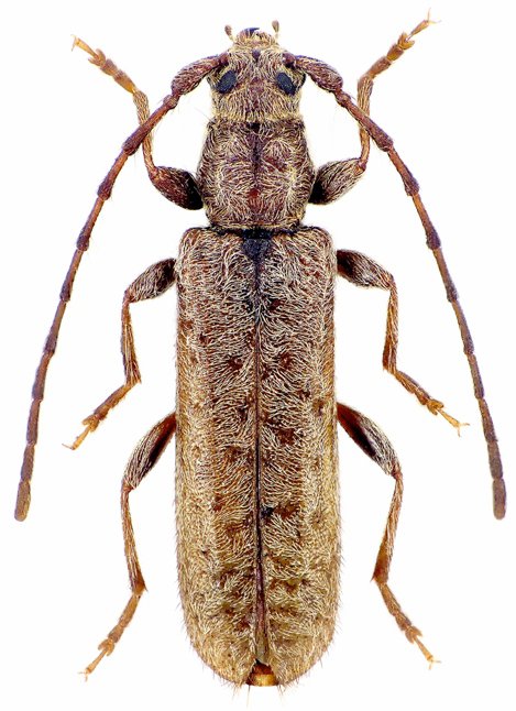
Genus Delagrangeus


Delagrangeus
angustissimus
angustissimus


Delagrangeus
angustissimus
liviae

Delagrangeus
angustissimus
troodi 

Delagrangeus
schurmanni

130503