New Search Family, Subfamily and Tribe List

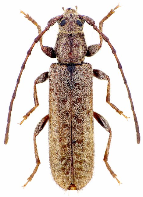
SubFamily Cerambycinae

Tribe Callidiini
Delagrangeus schurmanni Sama 1985

Photographer: David Navratil
Collection Location: Canary Islands
77639


Collection Location: Canary Islands
36394

130425