New Search
Family, Subfamily and Tribe List
Family
Cerambycinae
SubFamily
Cerambycinae
Tribe
Cerambycini
Genus
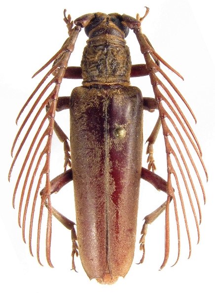
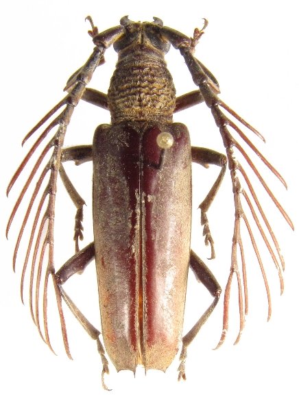
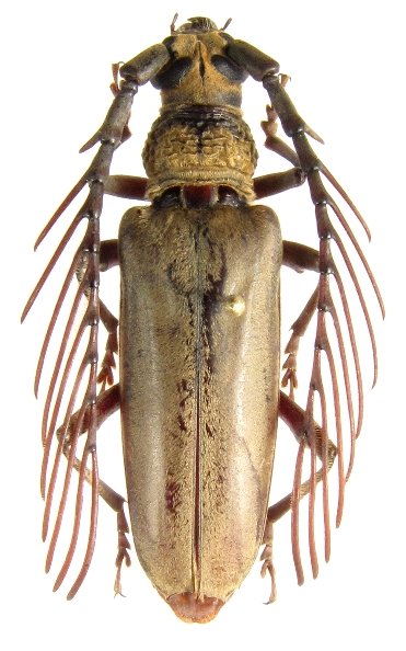
Cyriopalus
Cyriopalus
befui
Cyriopalus
hefferni
Cyriopalus
insignis
Cyriopalus
javanus
Cyriopalus
kalimantanus
Cyriopalus
wallacei
130503