New Search Family, Subfamily and Tribe List

SubFamily Cerambycinae

Tribe Cerambycini
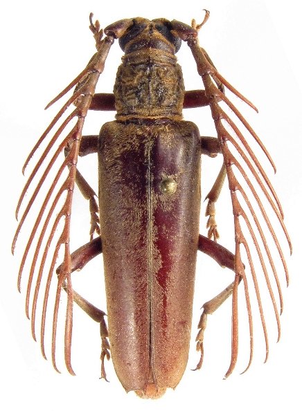
Cyriopalus javanus Vitali, Gouverneur & Chemin 2017

Specimen Type: holotype
Sex: m
Institution: Chemin Collection
Photographer: Gerard Chemin
Collection Location: Java, Indonesia
71759

130425