New Search Family, Subfamily and Tribe List
new world both worldsboth worlds old world
Family Cerambycinae
SubFamily Cerambycinae
Tribe Tropidini Compsina

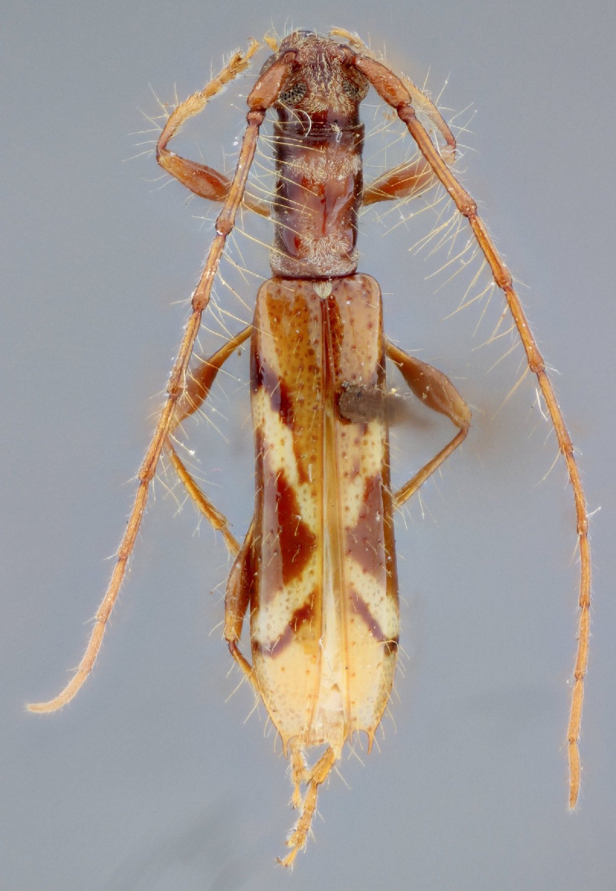
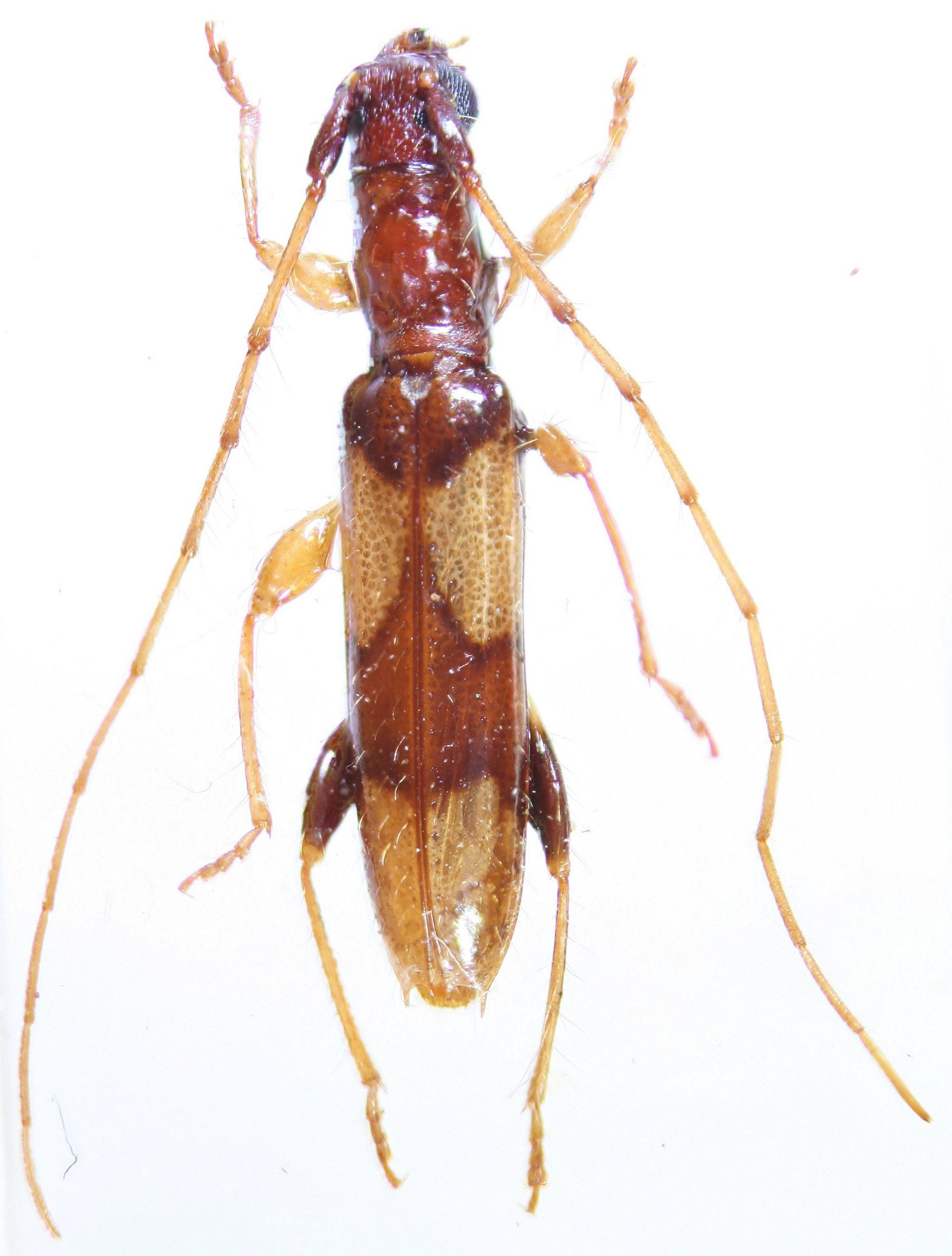
Genus Compsa


Compsa
albomaculata


Compsa
albopicta


Compsa
amoena


Compsa
curtula


Compsa
diringshofeni


Compsa
inconstans


Compsa
leucozona


Compsa
macra


Compsa
monrosi


Compsa
montana


Compsa
multiguttata


Compsa
nebulosa


Compsa
nipha


Compsa
peruviensis


Compsa
quadriguttata

130503