_Prosen_RS_Brazil_MZSP_SS_now_Compsa.jpg)
Heterachthes monrosi Prosen Specimen Type: paratype Institution: MZSP Museu de Zoologia da Universidade de São Paulo, Brazil Photographer: Antonio Santos-Silva Collection Location: Rio Grande do Sul, Brazil 68507
|
_Prosen_SC_Brazil_MZSP_SS_now_Compsa.jpg)
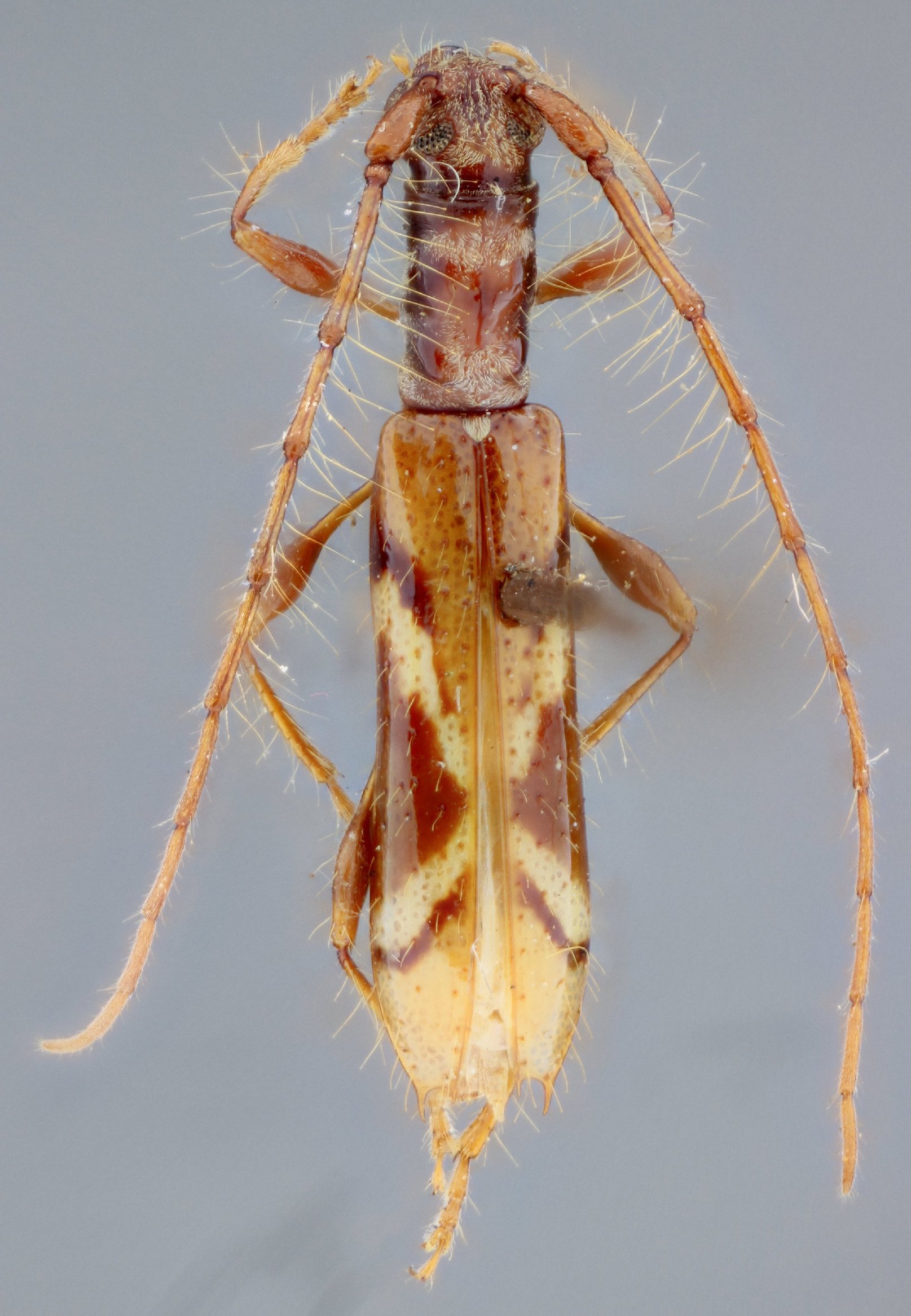
Heterachthes monrosi Prosen Specimen Type: paratype Institution: MZSP Museu de Zoologia da Universidade de São Paulo, Brazil Photographer: Antonio Santos-Silva Collection Location: Santa Catarina, Brazil 68508
|
_Buenoa_Aires_Argentina_MZSP_SS.jpg)
Institution: MZSP Museu de Zoologia da Universidade de São Paulo, Brazil Photographer: Antonio Santos-Silva Collection Location: Buenos Aires, Argentina 68506
|
_Det_Martins_Buenas_Aires_Argentina_UCB.jpg)
Institution: UCB Essig Museum of Entomology, Berkeley, California, USA Photographer: Larry G. Bezark Determiner: Martins Collection Location: Buenos Aires, Argentina 5994
|
|