New Search
Family, Subfamily and Tribe List
Family
Lamiinae
SubFamily
Lamiinae
Tribe
Acanthocinini
Genus
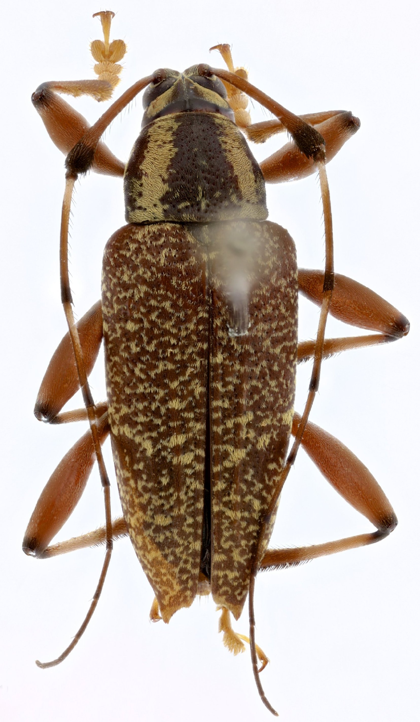
Cobelura
Cobelura
claviger
Cobelura
lorigera
Cobelura
peruviana
Cobelura
prenai
Cobelura
sergioi
Cobelura
stockwelli
Cobelura
vermicularis
130503