_Tippmann_Peru_USNM_SWL_=_Cobelura_lorigera_Erichson.jpg)
Acanthosphenopsilus flavocinctus Tippmann Specimen Type: holotype Sex: m Institution: NMNH United States National Museum, Washington, DC, USA Photographer: Steve Lingafelter Collection Location: Satipo, Rio Perené, Junin, Peru 3664
|
_Lane_MNRJ_SWL_=_Cobelura_lorigera_Erichson.jpg)
Probatius choliniformis Lane Specimen Type: holotype Sex: m Institution: MNRJ Museu Nacional Universidade do Rio Janeiro, Brazil Photographer: Steve Lingafelter Collection Location: Satipo, Junin, Peru 12542
|
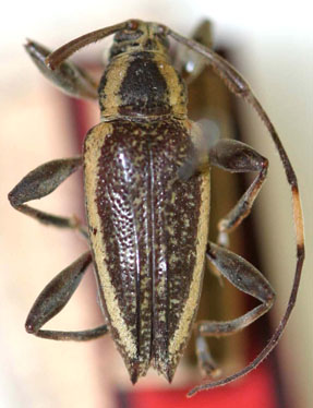
 Tippmann NMNH Satipo, Rio Perené, Junin, Peru now Cobelura Moure.jpg)
Acanthosphenopsilus flavocinctus Tippmann Specimen Type: holotype Sex: m Institution: NMNH United States National Museum, Washington, DC, USA Photographer: JS Moure Collection Location: Satipo, Rio Perené, Junin, Peru 89204
|
 Tippmann MZSP Satipo, Rio Perené, Junin, Peru now Cobel lorigera Moure.jpg)
Acanthosphenopsilus flavocinctus Tippmann Specimen Type: paratype Institution: MZSP Museu de Zoologia da Universidade de São Paulo, Brazil Photographer: JS Moure Collection Location: Satipo, Rio Perené, Junin, Peru 89205
|
|