New Search
Family, Subfamily and Tribe List
Family
Cerambycinae
SubFamily
Cerambycinae
Tribe
Clytini
Genus
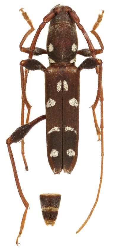
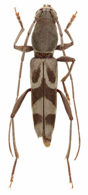
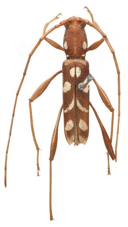
Clytocera
Clytocera
anhea
Clytocera
assamensis
Clytocera
chionospila
Clytocera
gujaratensis
Clytocera
montensis
Clytocera
pilosa
Clytocera
taiwanensis
130503