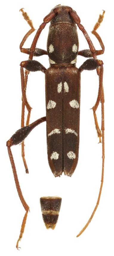
_Viktora_Coll_Tichy_Girnar_Mt_Junagadh_Gujarat_India_.jpg)
Specimen Type: holotype Sex: m Institution: Viktora Collection Photographer: Petr Viktora Collection Location: Girnar Mt, Junagadh, Gujarat, India 71243
|
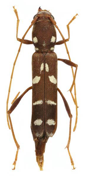
_Viktora_Tichy_Coll_Girnar_Mt_Junagadh_Gujarat_India_.jpg)
Specimen Type: paratype Sex: f Institution: Tichư Collection Photographer: Petr Viktora Collection Location: Girnar Mt, Junagadh, Gujarat, India 71244
|