New Search
Family, Subfamily and Tribe List
Family
Apatophyseinae
SubFamily
Apatophyseinae
Tribe
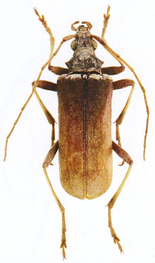
Genus
Catalanotoxotus
Catalanotoxotus
nivosus
Catalanotoxotus
pauliani
130503