_Vives_MNHN_Vanjamanitra_forest_C_Madagascar.jpg)
Specimen Type: holotype Sex: m Institution: MNHN Museum of Natural History Paris, France Determiner: Les Cahiers Magellanes Collection Location: Vanjamanitra forest, Central Madagascar 46006
|
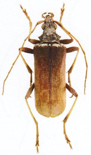
 Vives Vanjamanitra forest, Central Madagascar Vives.jpg)
Specimen Type: paratype Sex: m Institution: Vives Collection Photographer: Eduard Vives Collection Location: Vanjamanitra forest, Central Madagascar 96829
|