New Search Family, Subfamily and Tribe List
new world both worldsboth worlds old world
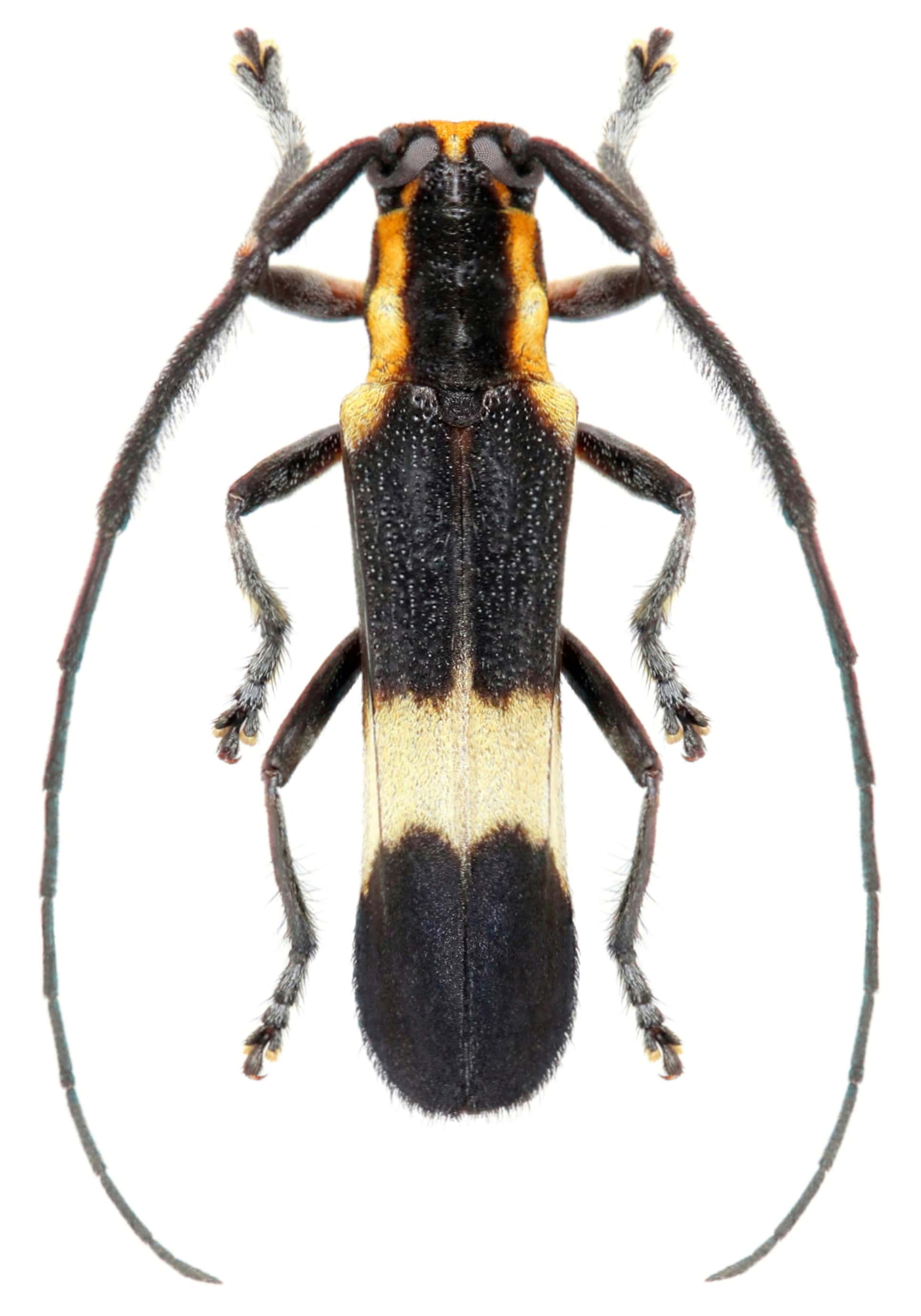
Family Lamiinae
SubFamily Lamiinae
Tribe Hemilophini

Genus Cacupira


Cacupira
iodina


Cacupira
tucurui

130503