New Search Family, Subfamily and Tribe List

SubFamily Lamiinae

Tribe Hemilophini
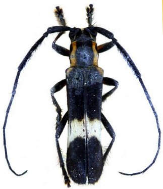
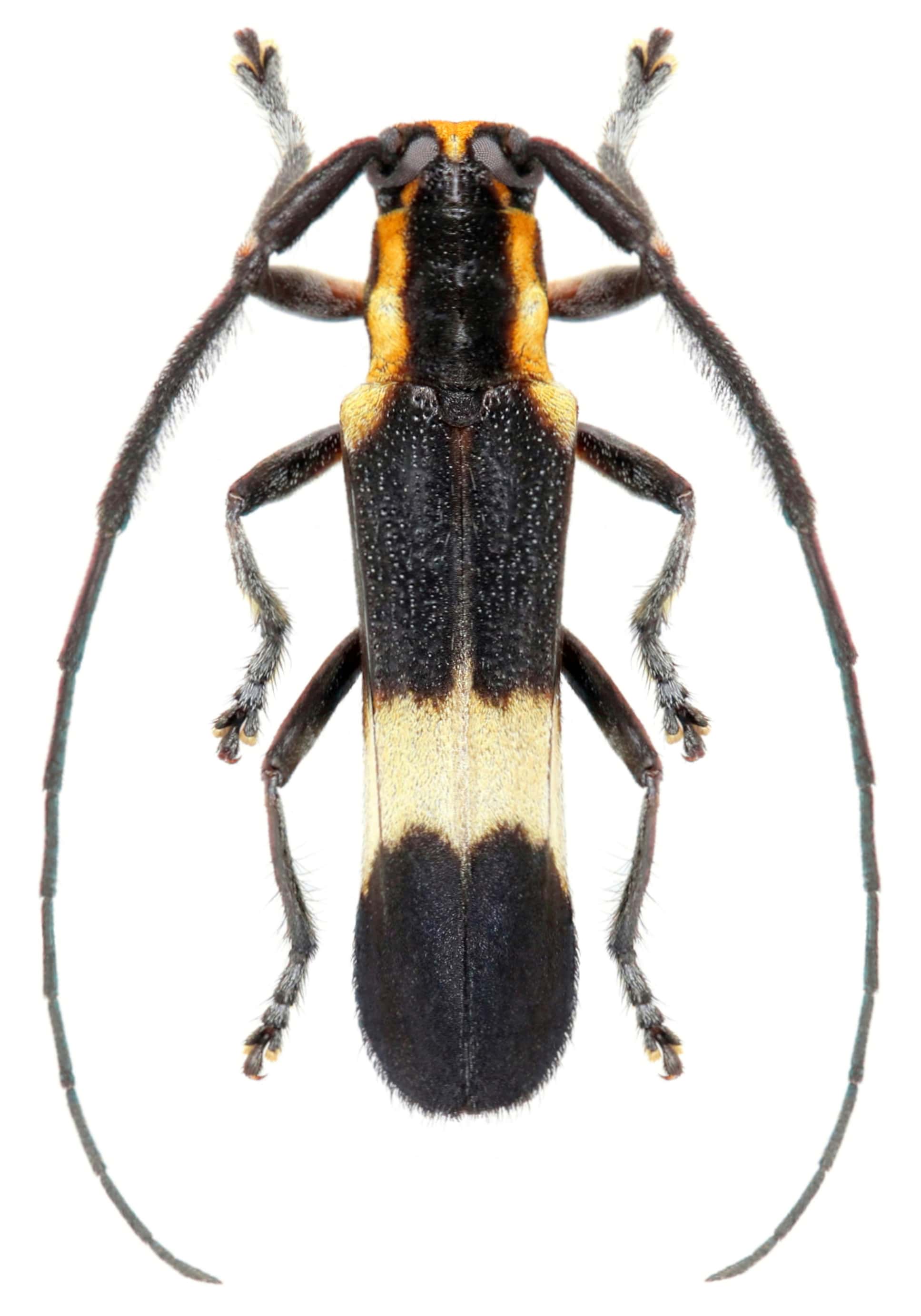
Cacupira tucurui Martins & Galileo 1991

Specimen Type: holotype
Sex: f
28613


Photographer: Odette Morvan
Collection Location: French Guiana
39972


Sex: m
Photographer: Frédéric Robin
Collection Location: Wayabo, Matiti-Kourou, French Guiana
78097


Photographer: Jean-Louis Giuglaris
Collection Location: Kaw, French Guiana
28612

130425