New Search Family, Subfamily and Tribe List
new world both worldsboth worlds old world
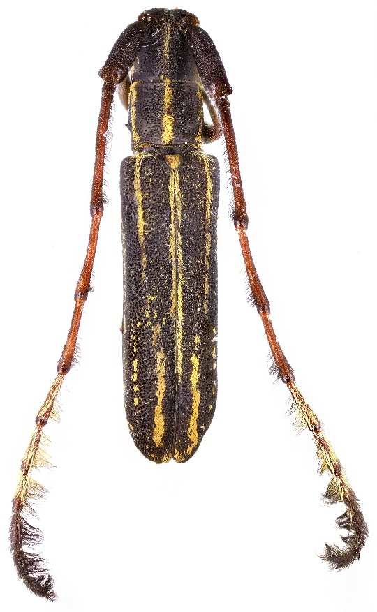
Family Lamiinae
SubFamily Lamiinae
Tribe Agapanthiini

Genus Borneogrammus


Borneogrammus
albomaculatus


Borneogrammus
hamiguitanus

130503