New Search Family, Subfamily and Tribe List

SubFamily Lamiinae

Tribe Agapanthiini
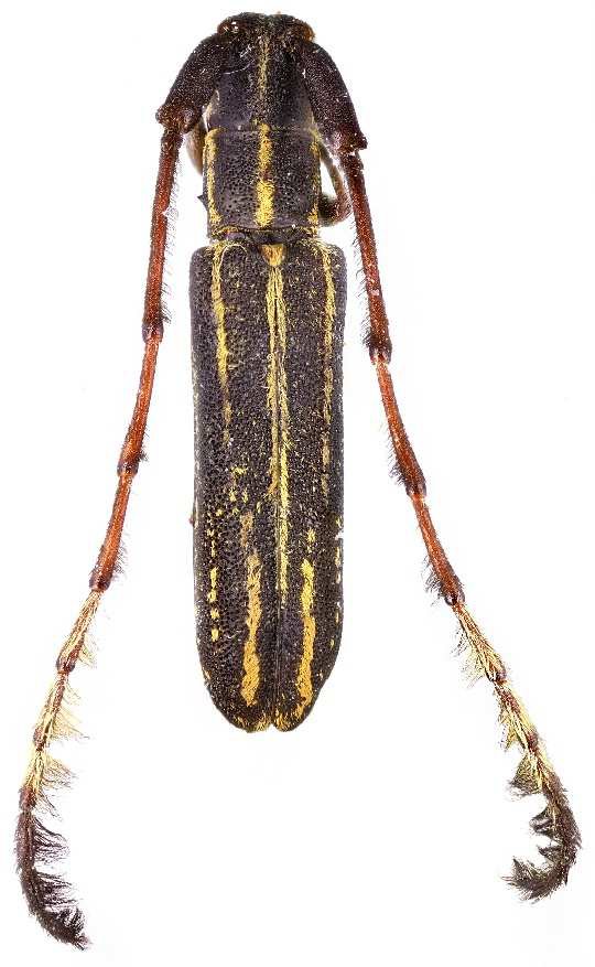
Borneogrammus hamiguitanus Barševskis & Torrejos 2023

Specimen Type: holotype
Sex: m
Institution: DUBC Daugavpils University, Coleopterological Research Center, Latvia
Photographer: Alexsander Anichtchenko
Collection Location: Mt Hamiguitan, Pujada Peninsula, Mindanao, Philippines
90418

130425