New Search Family, Subfamily and Tribe List
new world both worldsboth worlds old world
Family Lamiinae
SubFamily Lamiinae
Tribe Desmiphorini

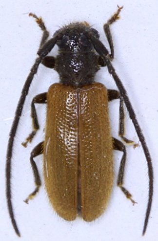
Genus Anaesthetobrium


Anaesthetobrium
fuscoflavum

Anaesthetobrium
javanicum
 
Anaesthetobrium
lieuae
 

Anaesthetobrium
luteipenne


Anaesthetobrium
pallidipes

130503