New Search Family, Subfamily and Tribe List

SubFamily Lamiinae

Tribe Desmiphorini
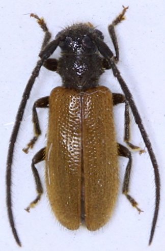
Anaesthetobrium luteipenne Pic 1923

Photographer: Olivier Gregory, Cerambycoidea Forum
Collection Location: Shanghai, China
79721

130425