New Search Family, Subfamily and Tribe List
new world both worldsboth worlds old world
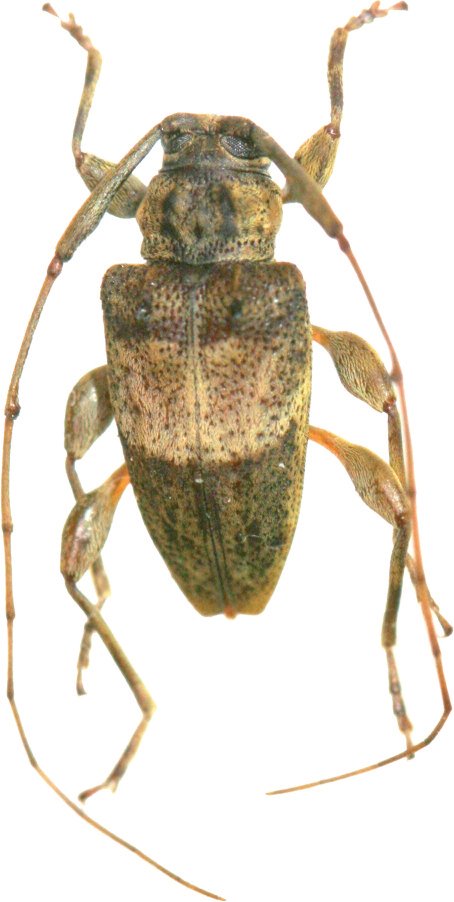
Family Lamiinae
SubFamily Lamiinae
Tribe Acanthocinini

Genus Amniscites


Amniscites
amboroensis


Amniscites
pelta


Amniscites
pictipes


Amniscites
tavakiliani

130503