_M_and_M_JW.jpg)
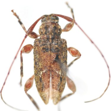
Specimen Type: holotype Sex: m Institution: MNKM Museo de Hist Nat Noel Kempff Mercado Santa Cruz de la Sierra, Bolivia Photographer: Jim Wappes Collection Location: 69 km W Vila Tunari, Cochabamba, Bolivia 41990
|
_Monne_and_Monne_MNKM_69kmW_Vila_Tunari_CO_Bolivia.jpg)
Specimen Type: holotype Sex: m Institution: MNKM Museo de Hist Nat Noel Kempff Mercado Santa Cruz de la Sierra, Bolivia Collection Location: 69 km W Vila Tunari, Cochabamba, Bolivia 36557
|