New Search Family, Subfamily and Tribe List
new world both worldsboth worlds old world
Family Cerambycinae
SubFamily Cerambycinae
Tribe Compsocerini

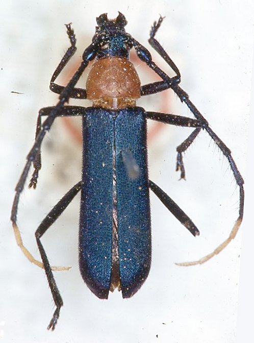
Genus Aglaoschema


Aglaoschema
acauna


Aglaoschema
albicorne


Aglaoschema
apixara


Aglaoschema
basale


Aglaoschema
camusi


Aglaoschema
collorata


Aglaoschema
concolor


Aglaoschema
cyaneum


Aglaoschema
dulce


Aglaoschema
erythrocephala


Aglaoschema
geoffroyi


Aglaoschema
haemorrhoidale


Aglaoschema
inca


Aglaoschema
mimos


Aglaoschema
mourei


Aglaoschema
potiguassu


Aglaoschema
prasinipenne


Aglaoschema
prasiniventre


Aglaoschema
quieci


Aglaoschema
rondoniense


Aglaoschema
ruficeps


Aglaoschema
rufiventre


Aglaoschema
tarnieri


Aglaoschema
ventrale


Aglaoschema
vinolentum


Aglaoschema
violaceipenne


Aglaoschema
viridipenne

130503