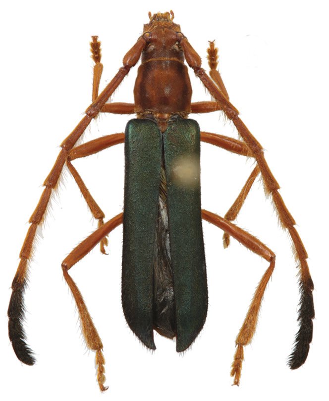
 Thomson MNHN Brazil now Aglao Moure.jpg)
Orthoschema viridipenne Thomson Specimen Type: syntype Sex: m Institution: MNHN Museum of Natural History Paris, France Photographer: JS Moure Collection Location: Brazil 101926
|
_Thomson_Ceu_Azul_Parana_Brazil_Rafael_Barros_pic.jpg)
Sex: m Institution: MZUEL Museum of Zoology, State University of Londrina, Brazil Photographer: Rafael Barros Collection Location: Céu Azul, Paraná, Brazil 74406
|