New Search
Family, Subfamily and Tribe List
Family
Apatophyseinae
SubFamily
Apatophyseinae
Tribe
Genus
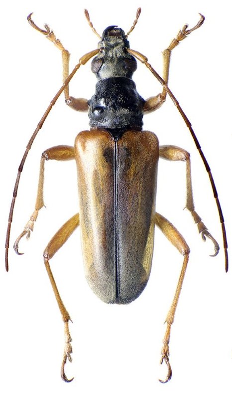
Aedoeus
Aedoeus
alosternoides
Aedoeus
anjouanensis
Aedoeus
curtus
Aedoeus
geniculatus
Aedoeus
vieui
130503