New Search Family, Subfamily and Tribe List

SubFamily Apatophyseinae

Tribe
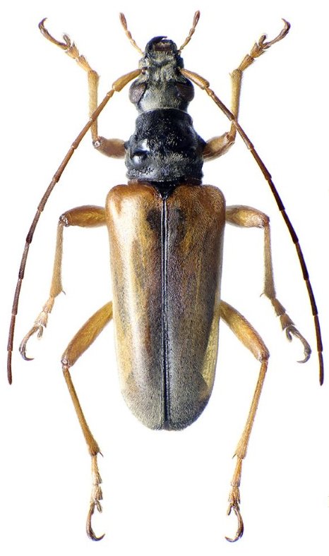
Aedoeus vieui Villiers, Quentin & Vives 2011

Sex: f
Photographer: Ivo Jenis
Collection Location: Moramanga, Madagascar
89313

130425