New Search Family, Subfamily and Tribe List
new world both worldsboth worlds old world
Family Cerambycinae
SubFamily Cerambycinae
Tribe Hesperophanini

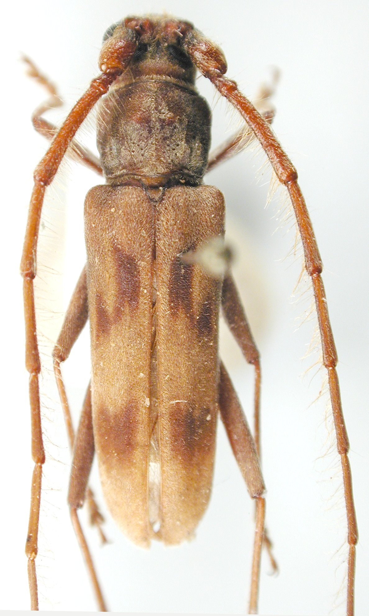
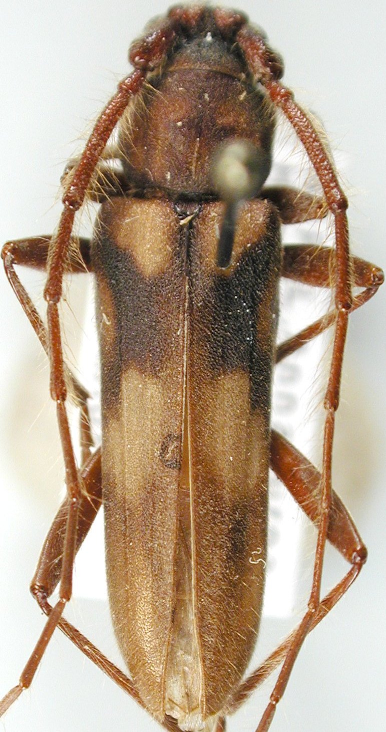
Genus Zoodes

Zoodes
angolensis
 

Zoodes
basalis


Zoodes
compressus


Zoodes
cornutus

Zoodes
crassipes
 

Zoodes
eburioides


Zoodes
formosanus


Zoodes
fulguratus


Zoodes
hirsutus


Zoodes
japonicus


Zoodes
liturifer


Zoodes
maculatus

Zoodes
nilgiriensis
 

Zoodes
quadridentatus

Zoodes
subpilosus
 
130503