
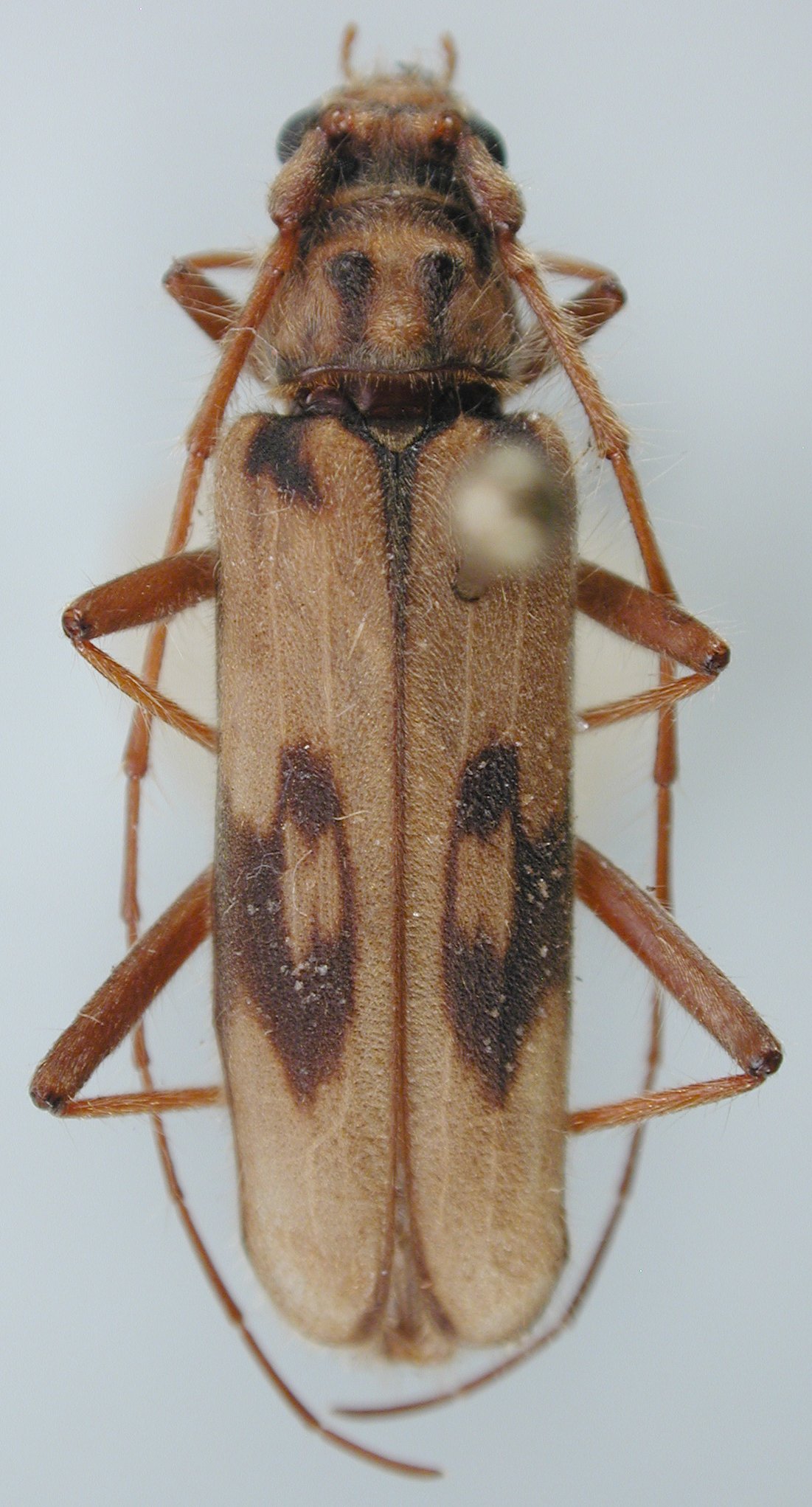
Sex: f Institution: LGBC Larry G. Bezark Collection, Sacramento, California, USA Photographer: Larry G. Bezark Collection Location: Yen Bai Province, Vietnam 79572
|

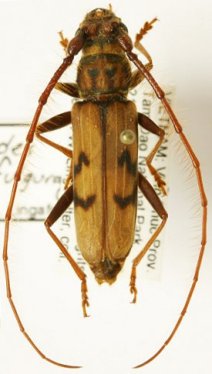
Sex: m Institution: LGBC Larry G. Bezark Collection, Sacramento, California, USA Photographer: Larry G. Bezark Collection Location: Lung Cu, Ha Giang Province, Vietnam 79573
|

Photographer: Steve Lingafelter Collection Location: Tam Dao, Vinh Phuc Province, Vietnam 67085
|
_Gahan_Chemin.jpg)
Sex: m Photographer: Gerard Chemin, Cerambycoidea Forum 67086
|

Institution: CAS California Academy of Sciences, San Francisco, CA, USA Photographer: Larry G. Bezark 67087
|
|