New Search
Family, Subfamily and Tribe List
Family
Cerambycinae
SubFamily
Cerambycinae
Tribe
Clytini
Genus
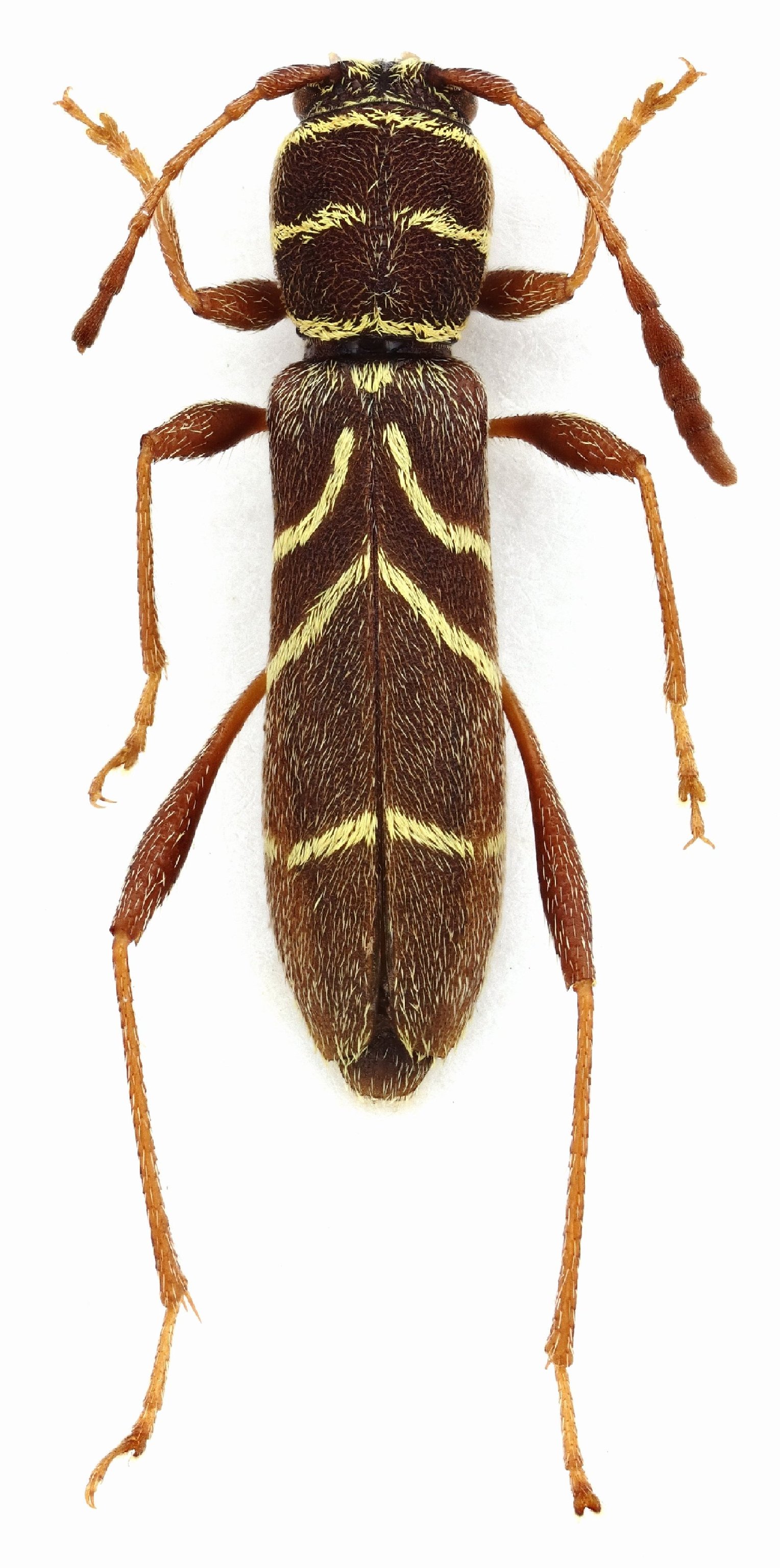
Ygapema
Ygapema
accentifer
Ygapema
arixi
Ygapema
boliviana
Ygapema
clavata
Ygapema
delicata
Ygapema
errata
Ygapema
michelleae
Ygapema
mulleri
Ygapema
plaumanni
130503