New Search Family, Subfamily and Tribe List

SubFamily Cerambycinae

Tribe Clytini
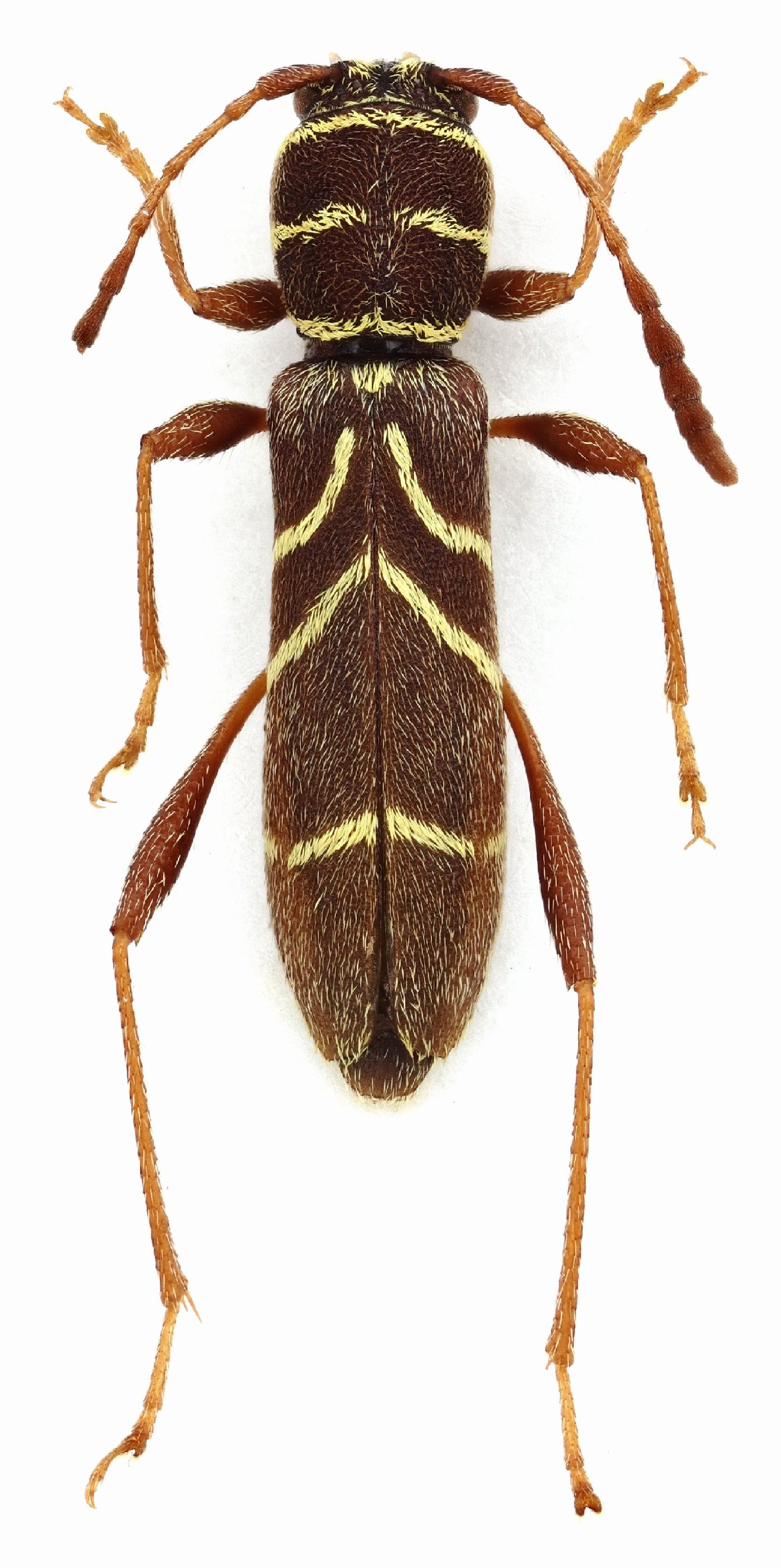
Ygapema plaumanni (Fuchs, 1966)

Neoclytus plaumanni Fuchs
Specimen Type: holotype
Institution: HS Herbert Schmid Collection, Vienna, Austria
Photographer: Herbert Schmid
Collection Location: Serro del Mar, Para, Brazil
30644

130425