New Search Family, Subfamily and Tribe List
new world both worldsboth worlds old world
Family Cerambycinae
SubFamily Cerambycinae
Tribe Cleomenini

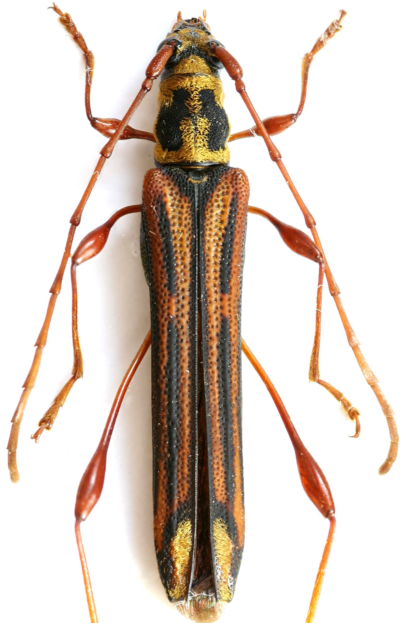
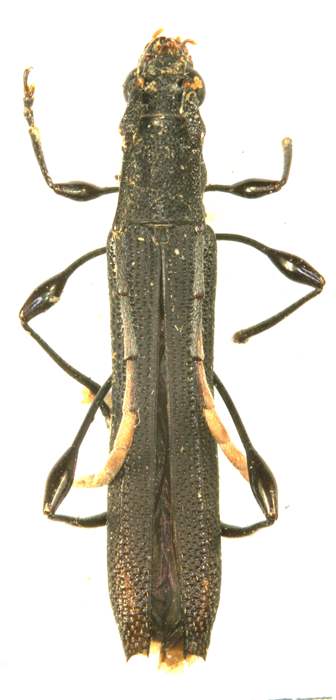
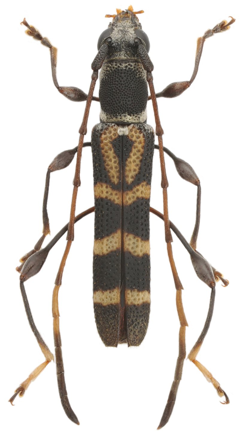
Genus Cleomenes


Cleomenes
apicalis


Cleomenes
assamensis


Cleomenes
atricornis


Cleomenes
auricollis


Cleomenes
banauensis


Cleomenes
cabrasae


Cleomenes
chryseus


Cleomenes
cognatus


Cleomenes
copei


Cleomenes
dihammaphoroides

Cleomenes
diversevittatus
 

Cleomenes
giganteus


Cleomenes
hainanensis


Cleomenes
hefferni


Cleomenes
hilaris


Cleomenes
infuscatus


Cleomenes
katerinae


Cleomenes
laetabilis


Cleomenes
lautus


Cleomenes
longipennis
longipennis


Cleomenes
longipennis
trilineatus


Cleomenes
lyra

Cleomenes
malayanus
 

Cleomenes
medinai


Cleomenes
micarius


Cleomenes
modicatus
modicatus


Cleomenes
modicatus
tristriatus


Cleomenes
modicatus
bukejsi


Cleomenes
multiplagatus


Cleomenes
nigricollis
nigricollis


Cleomenes
nigricollis
atratus


Cleomenes
ornatus


Cleomenes
putaoensis


Cleomenes
robustior
robustior


Cleomenes
robustior
sumatrensis


Cleomenes
rufobasalis


Cleomenes
rufofemoratus


Cleomenes
rufonigra


Cleomenes
semiargentens

Cleomenes
semilineatus
 

Cleomenes
seramensis


Cleomenes
takiguchii


Cleomenes
tenuipes


Cleomenes
trinotatithorax


Cleomenes
vittatoides


Cleomenes
vittatus

130503