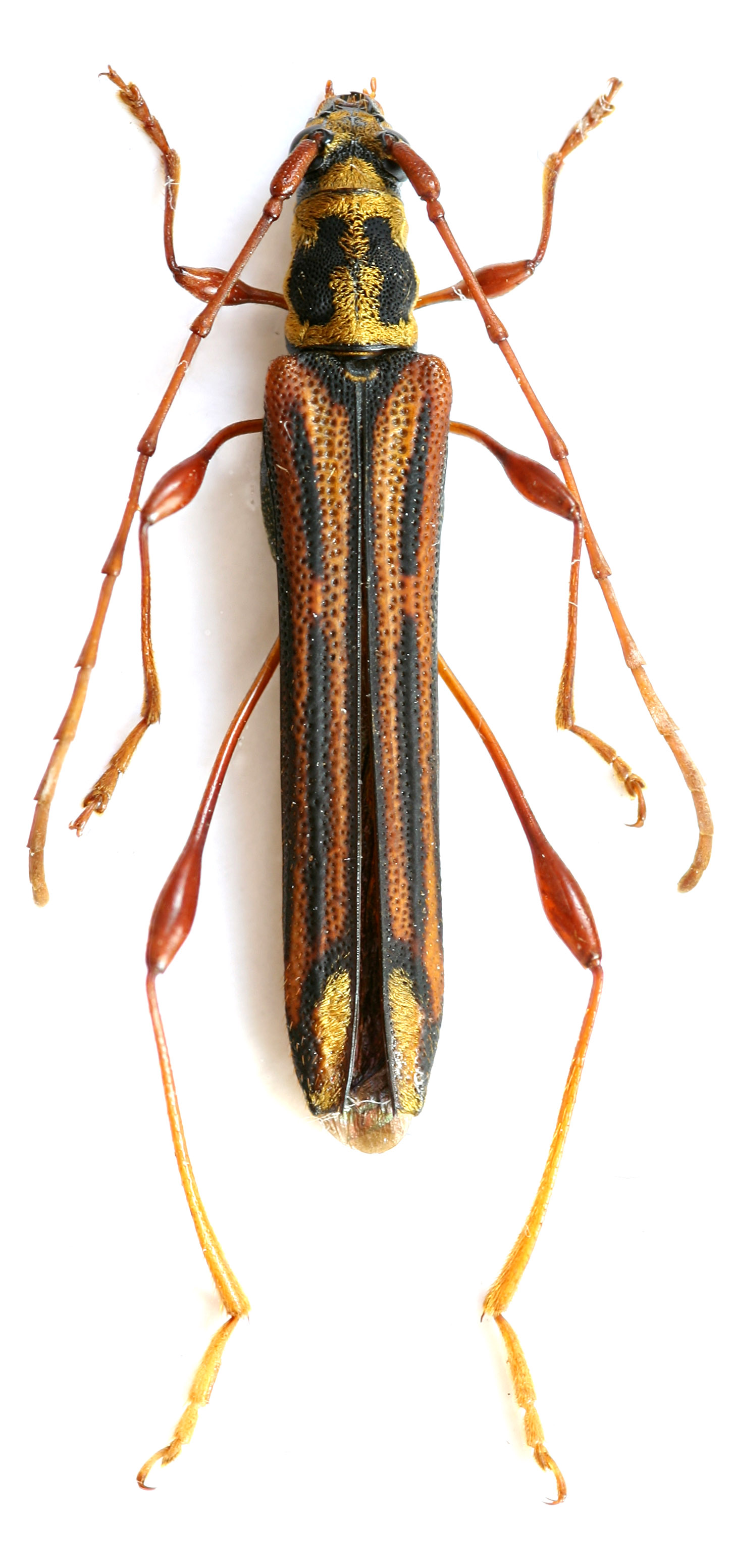
_Barsevskis_DUBC_Yen_Bai_Vietnam.jpg)
Specimen Type: holotype Sex: m Institution: DUBC Daugavpils University, Coleopterological Research Center, Latvia Photographer: Barsevskis Collection Location: Yen Bai, Vietnam 73867
|

Photographer: Francesco Ruggiero, Cerambycoidea Forum Collection Location: Yen Bai, Vietnam 100841
|