New Search Family, Subfamily and Tribe List
new world both worldsboth worlds old world
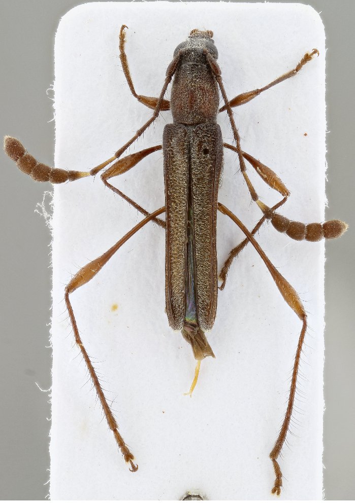
Family Cerambycinae
SubFamily Cerambycinae
Tribe Rhinotragini

Genus Antennommata


Antennommata
brunnea


Antennommata
costata

130503