_Clarke_MNKM_4km_W_Buena_Vista_Santa_Cruz_Bolivia.jpg)
Specimen Type: holotype Sex: m Institution: MNKM Museo de Hist Nat Noel Kempff Mercado Santa Cruz de la Sierra, Bolivia Collection Location: 4 km W Buena Vista, Santa Cruz, Bolivia 29519
|
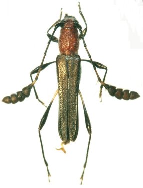
_Clarke_SS.jpg)
Specimen Type: paratype Sex: f Institution: MZSP Museu de Zoologia da Universidade de São Paulo, Brazil Photographer: Antonio Santos-Silva 63457
|