New Search
Family, Subfamily and Tribe List
Family
Lamiinae
SubFamily
Lamiinae
Tribe
Desmiphorini
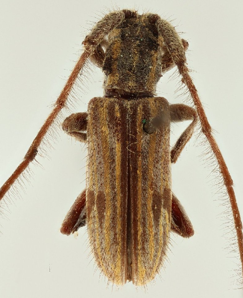
Genus
Unelcus
Unelcus
bolivianus
Unelcus
lineatus
Unelcus
pictus
130503