New Search Family, Subfamily and Tribe List
new world both worldsboth worlds old world
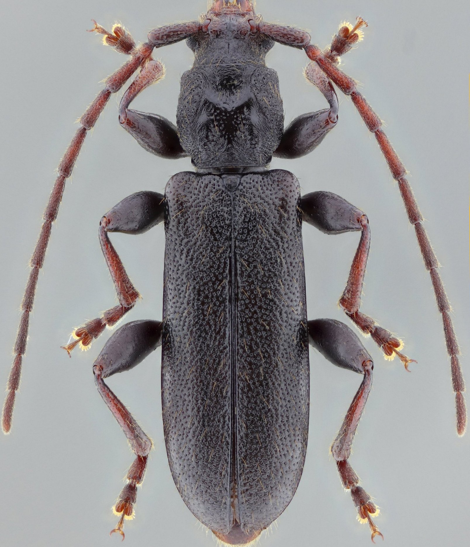
Family Cerambycinae
SubFamily Cerambycinae
Tribe Dichophyiini

Genus Unatara


Unatara
atinga


Unatara
polylepis

130503