New Search Family, Subfamily and Tribe List
new world both worldsboth worlds old world
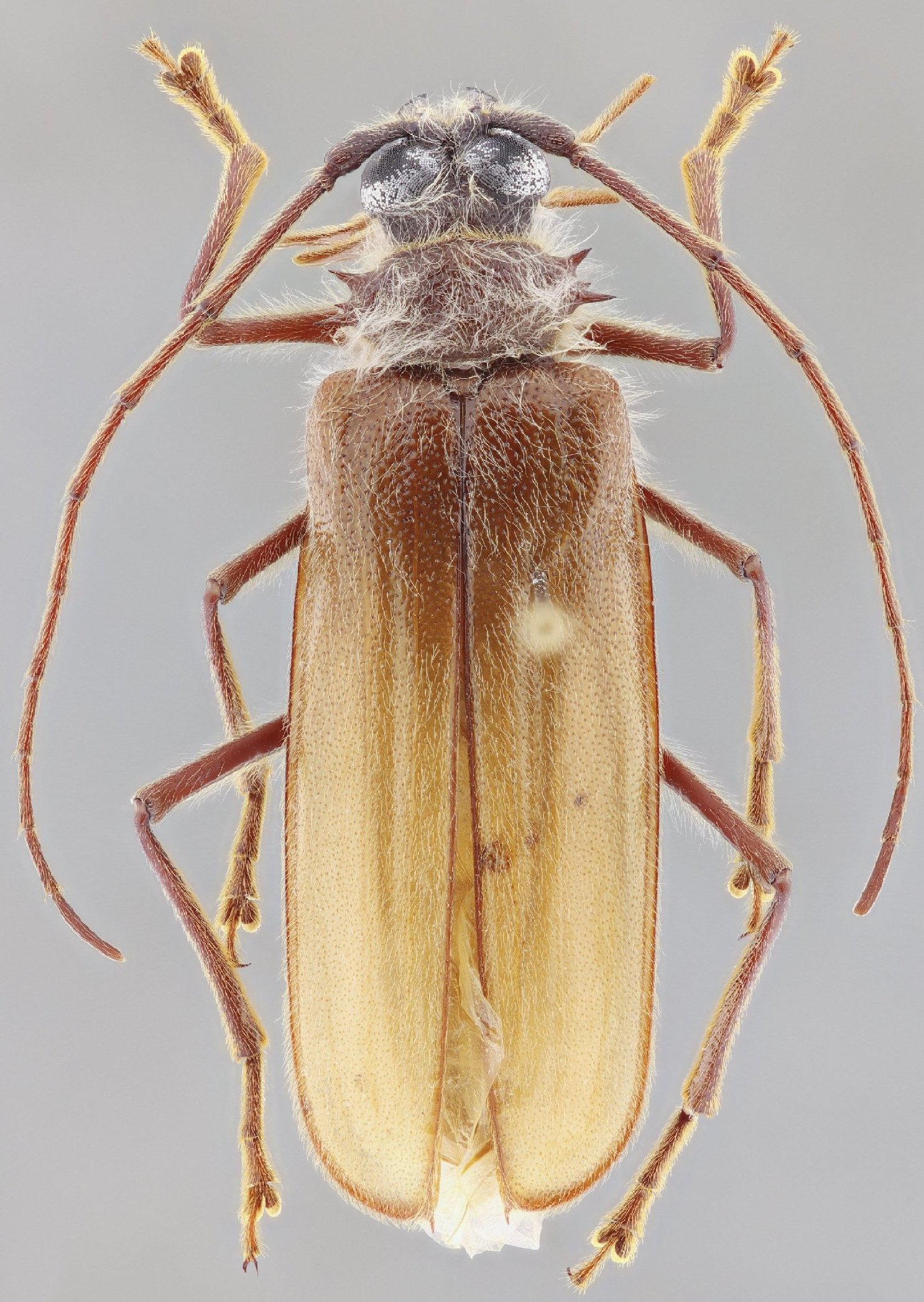
Family Prioninae
SubFamily Prioninae
Tribe Meroscelisini

Genus Trichoderes


Trichoderes
cristiani


Trichoderes
cylindroida


Trichoderes
pini


Trichoderes
rugosa

130503