New Search Family, Subfamily and Tribe List
new world both worldsboth worlds old world
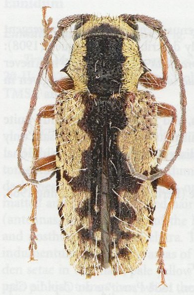
Family Lamiinae
SubFamily Lamiinae
Tribe Ceroplesini Crossotina

Genus Tlepolemus


Tlepolemus
grobbelaarae


Tlepolemus
pilosus


Tlepolemus
puerulus

130503