New Search
Family, Subfamily and Tribe List
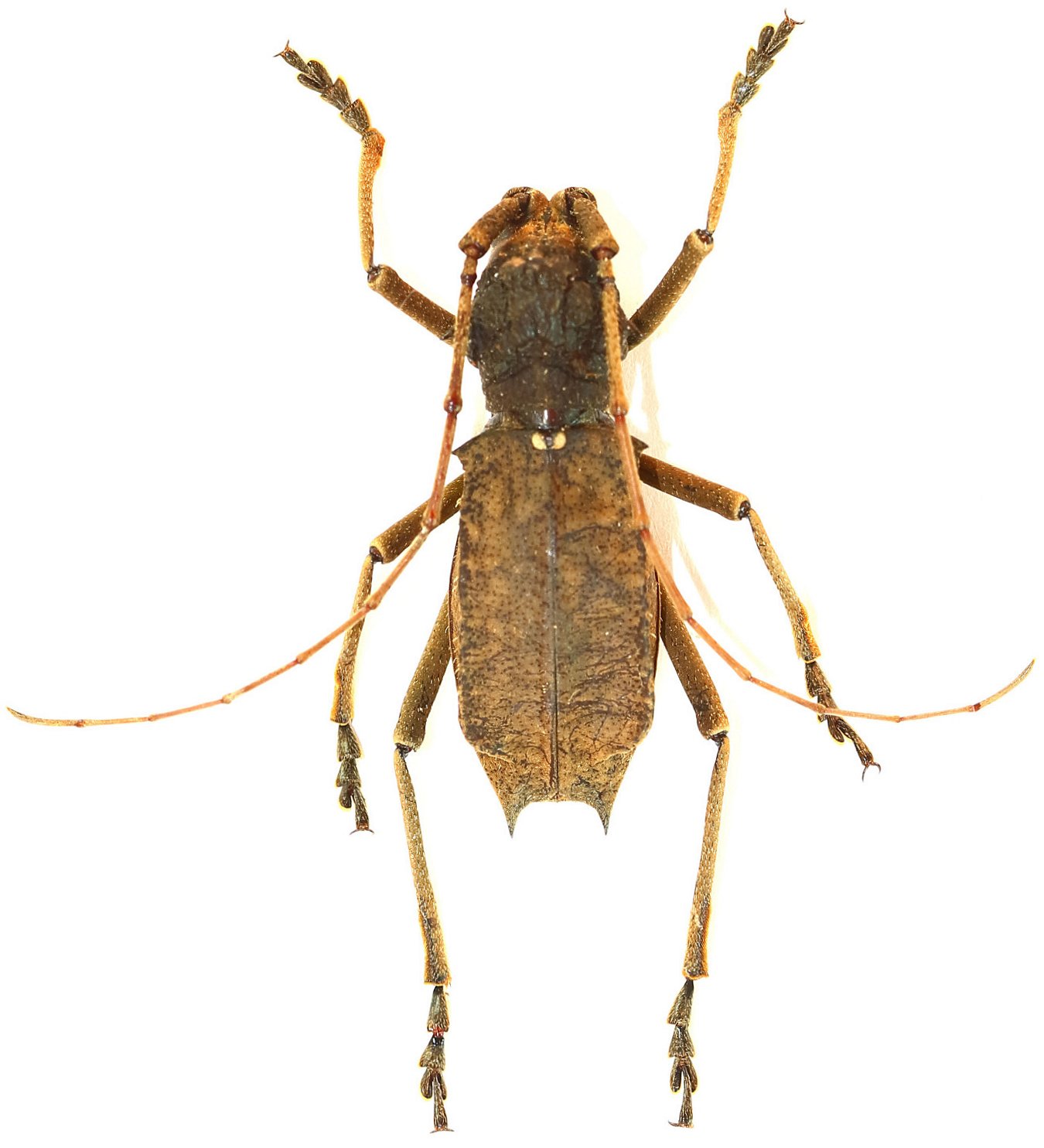
Family
Lamiinae
SubFamily
Lamiinae
Tribe
Lamiini
Genus
Spinospasma
Spinospasma
hynesi
130503