New Search Family, Subfamily and Tribe List
new world both worldsboth worlds old world
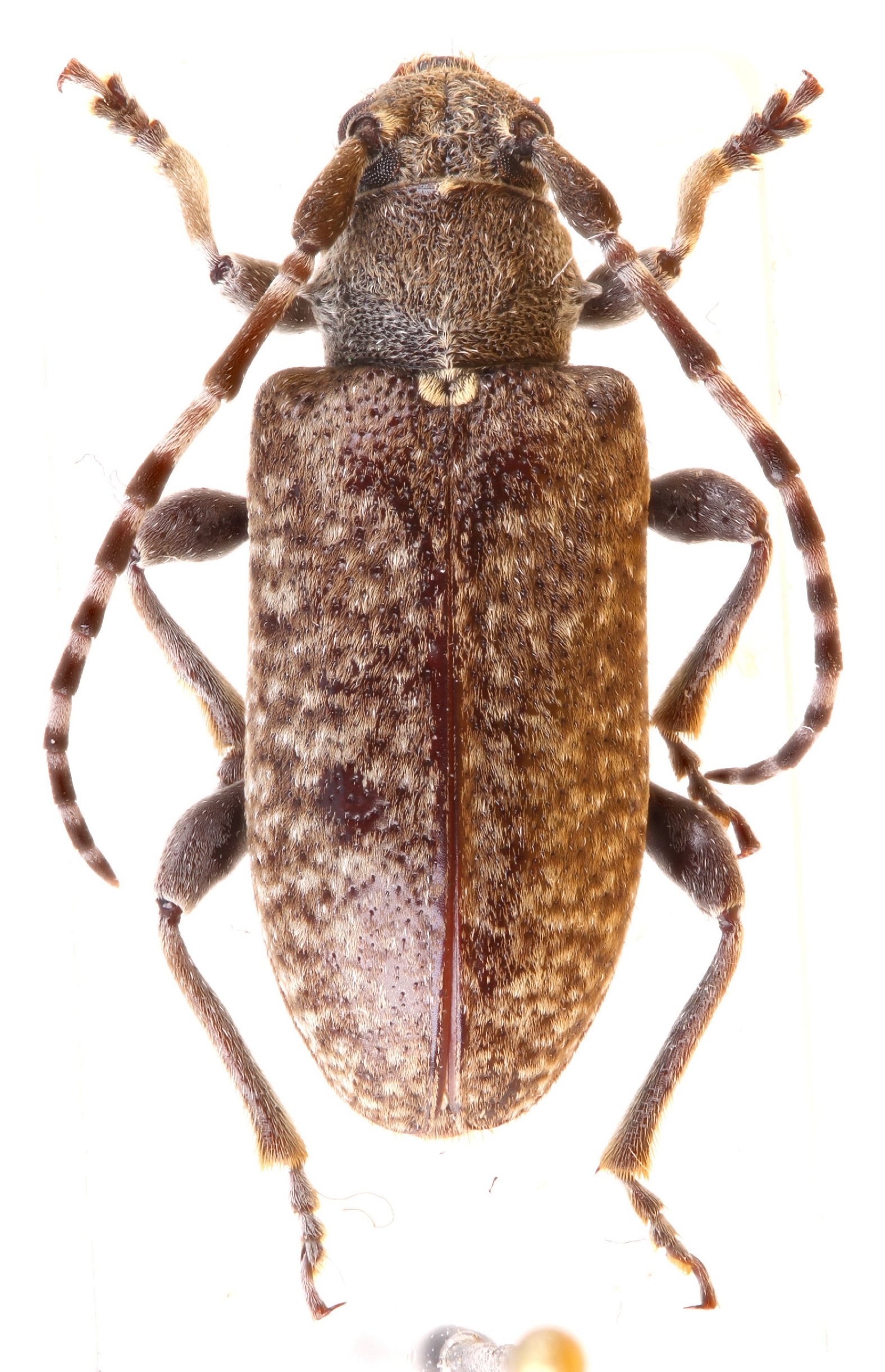
Family Lamiinae
SubFamily Lamiinae
Tribe Acanthoderini

Genus Santossilvaicus


Santossilvaicus
mexicanus

130503