New Search
Family, Subfamily and Tribe List
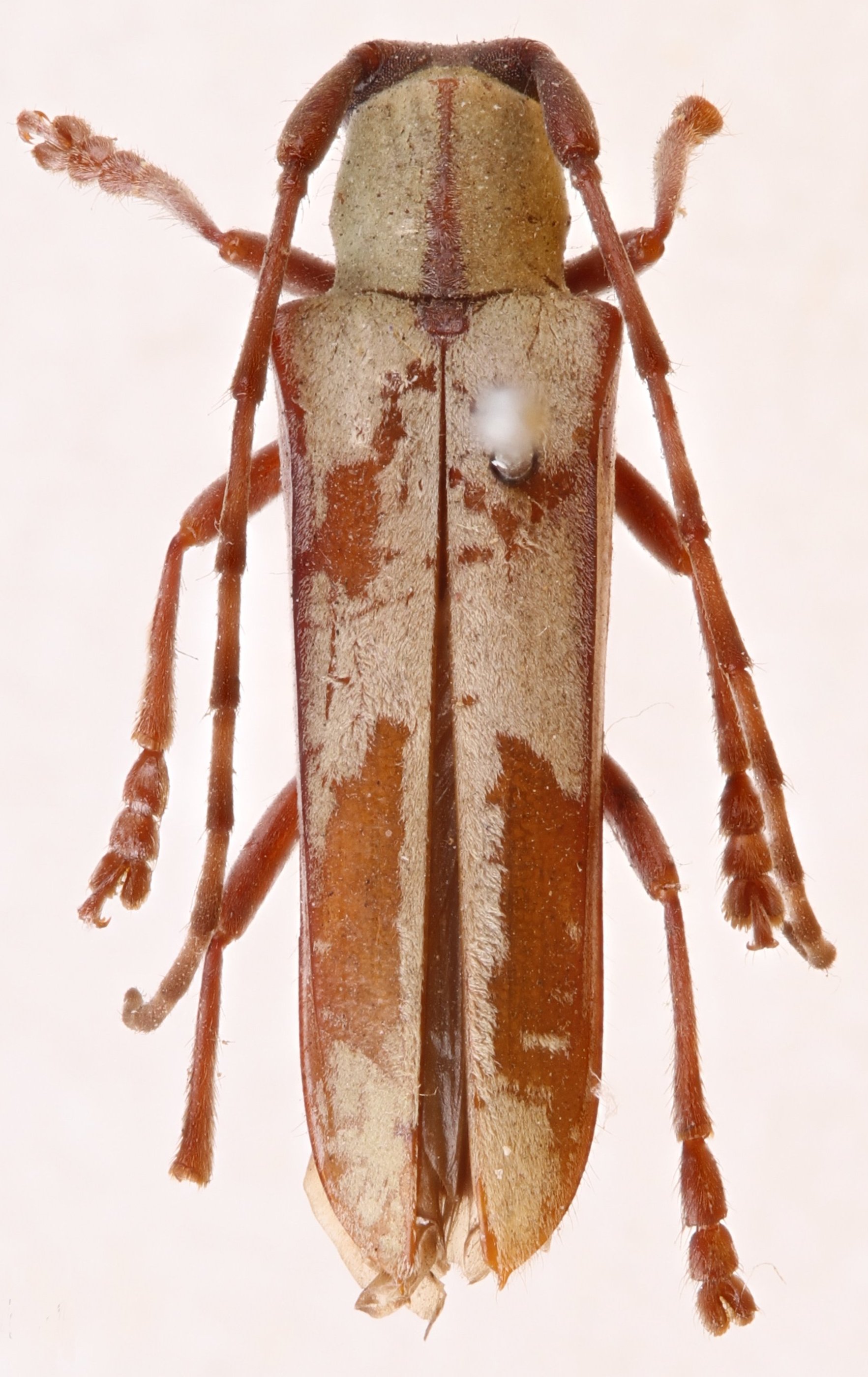
Family
Lamiinae
SubFamily
Lamiinae
Tribe
Hemilophini
Genus
Pseudotacocha
Pseudotacocha
lacordairei
Pseudotacocha
magnifica
130503