New Search Family, Subfamily and Tribe List
new world both worldsboth worlds old world
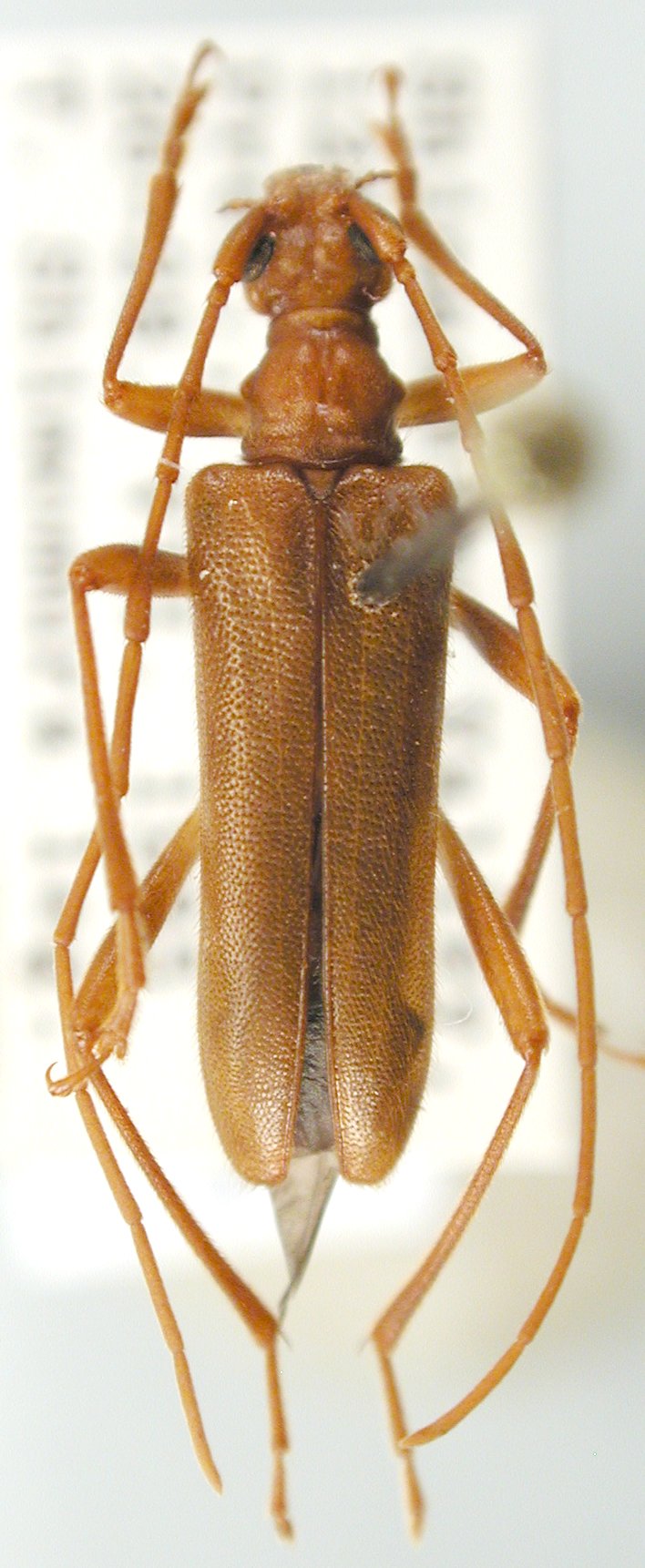
Family Lepturinae
SubFamily Lepturinae
Tribe Rhagiini

Genus Pseudosieversia


Pseudosieversia
amanoi


Pseudosieversia
europaea


Pseudosieversia
japonica


Pseudosieversia
rufa


Pseudosieversia
shikokensis

130503