New Search Family, Subfamily and Tribe List
new world both worldsboth worlds old world
Family Lamiinae
SubFamily Lamiinae
Tribe Gyaritini

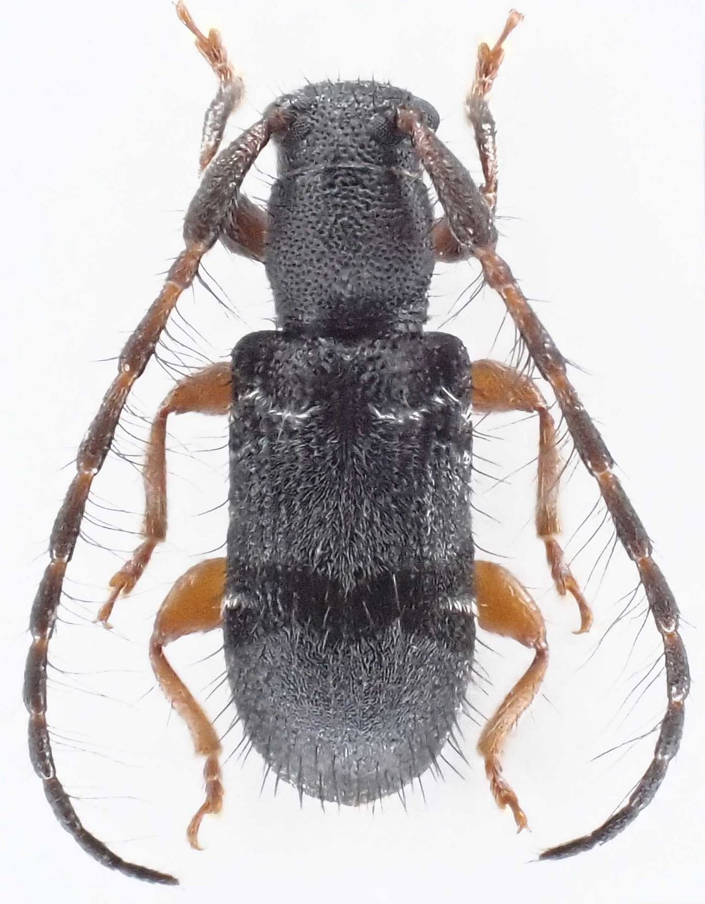
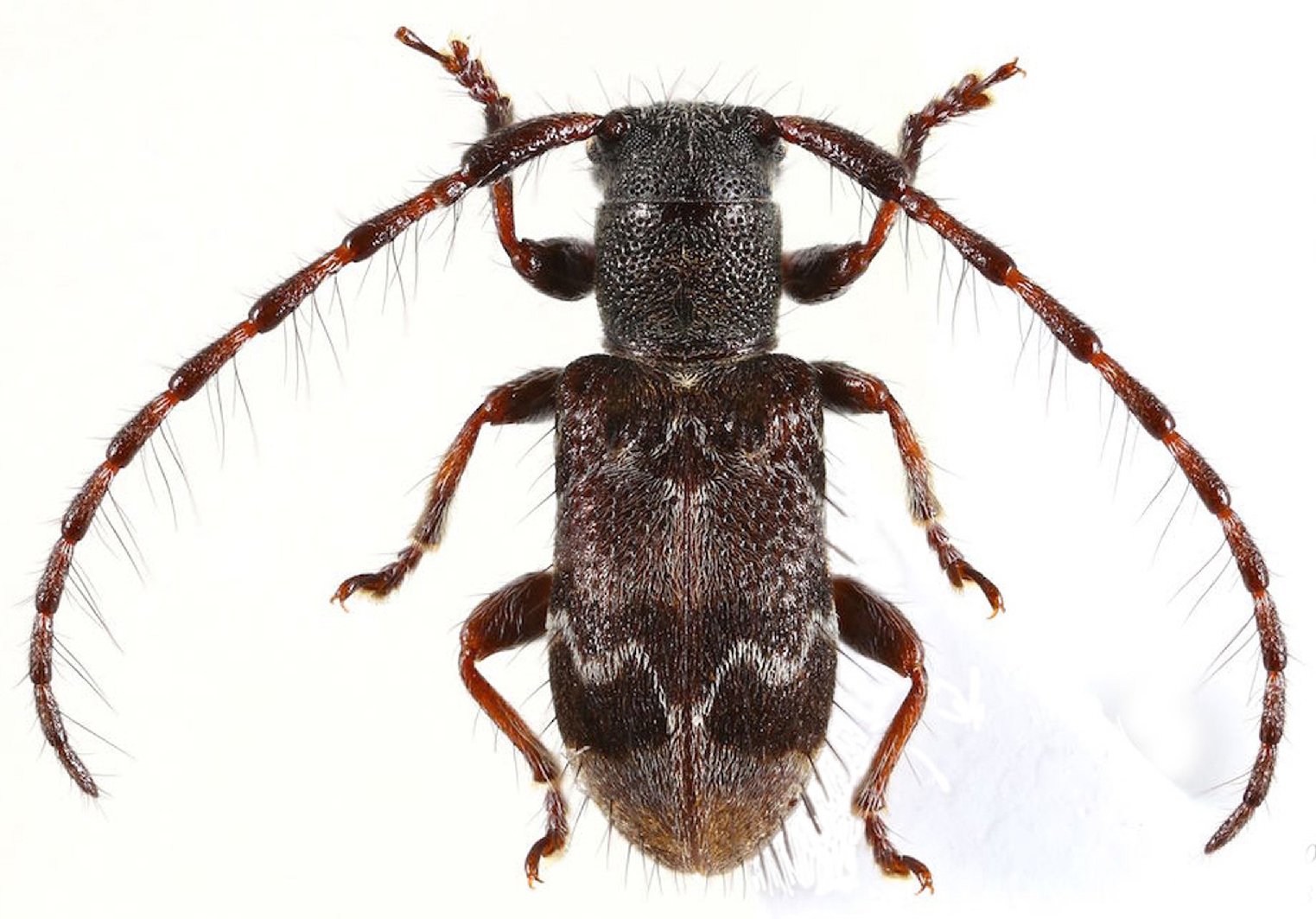
Genus Pseudoloessa


Pseudoloessa
bispinosa

Pseudoloessa
javanica
 

Pseudoloessa
laosensis


Pseudoloessa
malayana

130503