New Search Family, Subfamily and Tribe List
new world both worldsboth worlds old world
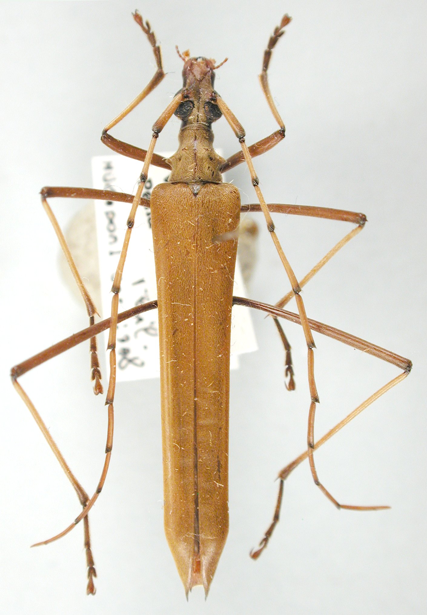
Family Cerambycinae
SubFamily Cerambycinae
Tribe Proholopterini

Genus Proholopterus


Proholopterus
annulicornis


Proholopterus
chilensis


Proholopterus
laevigatus

130503