New Search Family, Subfamily and Tribe List
new world both worldsboth worlds old world
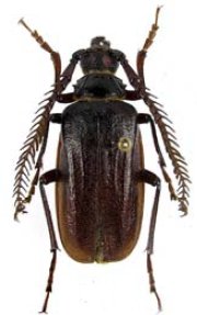
Family Prioninae
SubFamily Prioninae
Tribe Prionini

Genus Plumiprionus


Plumiprionus
boppei


Plumiprionus
plumicornis

130503