New Search Family, Subfamily and Tribe List
new world both worldsboth worlds old world
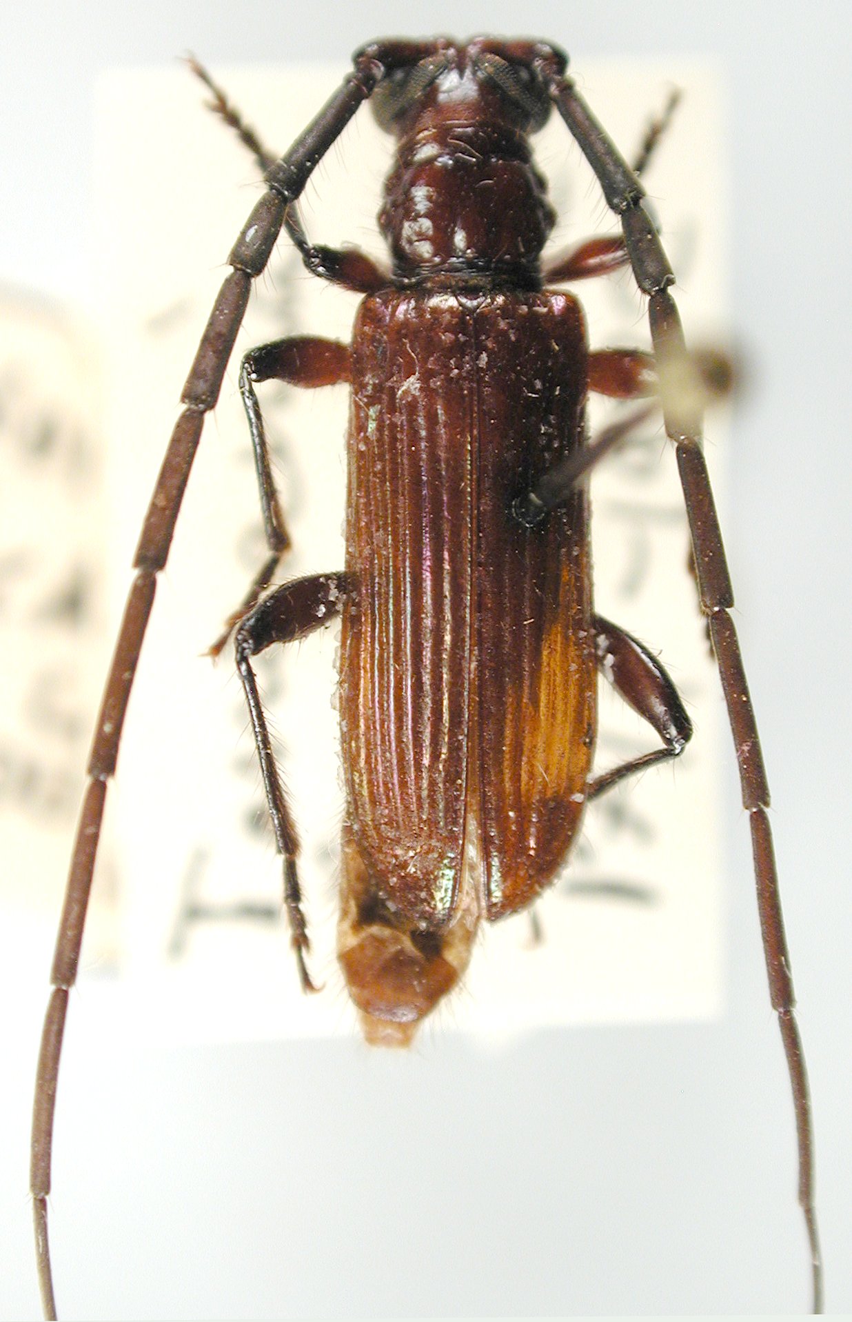
Family Cerambycinae
SubFamily Cerambycinae
Tribe Methiini

Genus Paulianometallyra


Paulianometallyra
jacksoni


Paulianometallyra
tanganycae

130503