New Search Family, Subfamily and Tribe List
new world both worldsboth worlds old world
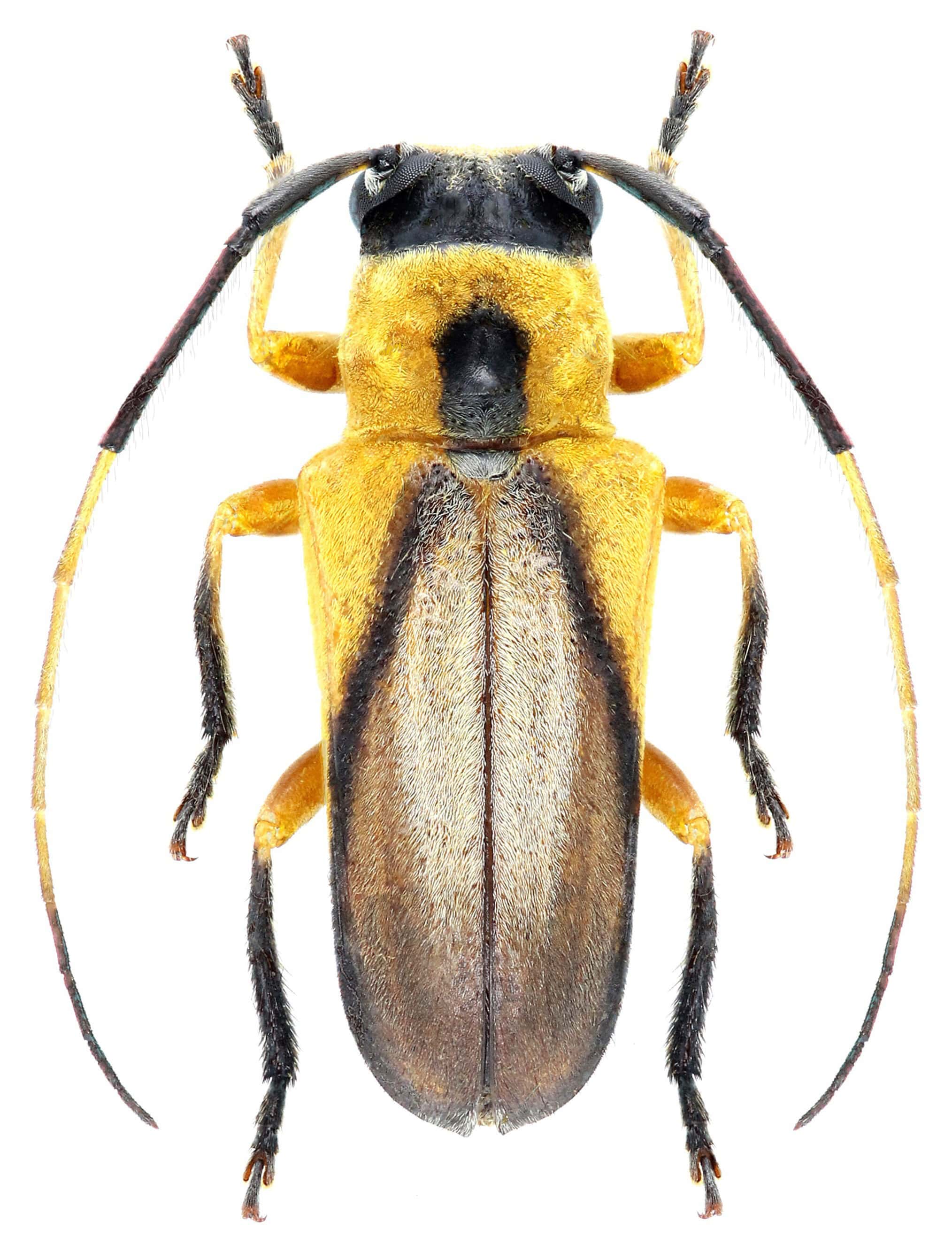
Family Lamiinae
SubFamily Lamiinae
Tribe Hemilophini

Genus Parauna


Parauna
zikani

130503