New Search
Family, Subfamily and Tribe List
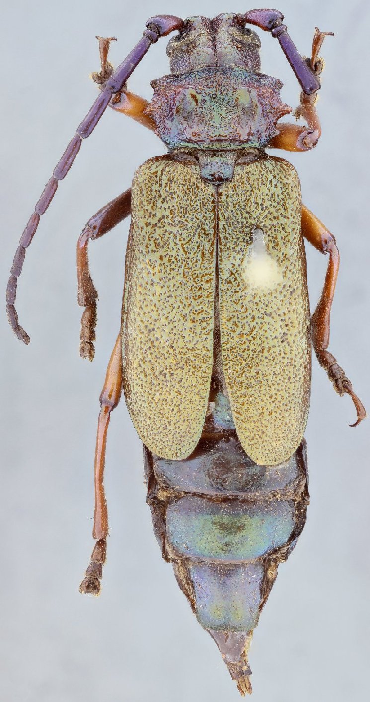
Family
Prioninae
SubFamily
Prioninae
Tribe
Anacolini
Genus
Nocalusa
Nocalusa
prodigiosa
Nocalusa
santossilvai
130503